« Previous Page Table of Contents Next Page »

[Page 89]

1939 – The beginning of the end

The atmosphere among the Jews in Wasilkow was heavy with rumours. The political situation was confused. In the evenings, people gathered in the houses of those few who then possessed radios. They listened to Adolf Hitler spew out his hatred. There was unending speculation as to what was happening and what should be done. In the days leading up to that sad first day of September 1939, Jews felt themselves to be caught in a trap which had not yet closed but from which there was no escape.

General mobilisation was declared on the same day that the German army crossed the Polish border and their airplanes began bombing the open cities. Many went from one mobilisation centre to the next asking for instructions. They received no orders or uniforms and often ended up going back home. Just as the military administration seemed to have dropped its bundle, the civil administration also lost its control over the nation. All the roads to the frontline towns were jammed with military transports which were frequently more than horse-drawn carts driven by their peasant owners who had been impressed into the service with the vehicles. There was a grab bag of municipal vans, private limousines and military vehicles.

A typical arrangement was the so-called Air Defence (O.P.L) where Poles and Jews were paired off. Each pair took responsibility for a number of streets in the town where they would check that all windows were masked and all visible lights turned off. They also served on Bialystok Road assisting the traffic to and from Grodno because they had hooded all street lights. These O.P.L. patrols arranged themselves every three hundred metres along the highway and through the town for most of the night.

On the third of September, when we heard that Britain and France had declared war on the Germans, morale lifted especially among the Jews. We would strain to see English and French aircraft appear in our skies. What we did see was a

[Page 90]

dog-fight between a German and a Polish plane. They passed behind a hill just out of town. A crowd of us ran out into the fields to witness the result only to be raked with machinegun fire by the German victor.

In that first fearful week, Wasilkow Jews still had a spark of hope. The Synagogues were full of old men praying that their God would not abandon his people.

By 8th May, there were rumours that the German armies had taken many towns and were already near Grodno. They were outside Baranowicze and had bombed Bialystok and destroyed the railway station. Large numbers of wounded began to arrive and we would hear an even louder thunder of artillery. All the traffic along Bialystok Road went in one direction only, fleeing from the front.

On Monday 11th, there was a rush of people, some on foot and some driving waggons, to the military and municipal warehouses which had been abandoned and were open to plunder. In Wasilkow the police were preparing to flee, the Town Council stopped functioning and by the 13th, they had all gone and the town was left without any civil authority. The municipal offices were strewn with documents and silence save for the mewing of a lonely kitten.

Outside the post office, three cavalrymen were surrounded by a crowd of Poles and Jews demanding to hear something about where the Germans were and what should be done. The lieutenant who led the trio was fiercely patriotic. He said that we should prepare ourselves for resistance by filling bottles with petrol and stopping them with wicks of lint. When the German tanks entered the town, we should destroy them with our home-made bombs. His squadron was the last of the Polish army left in the region. He did not know how long they could remain. That same evening, his squadron came charging through the town at full gallop, sabres drawn shouting that the Germans were on their way. They disappeared in the opposite

[Page 91]

direction. Wasilkow was left abandoned by all authority. The main street was silent.

A group of shopkeepers, both Poles and Jews, gathered in front of the town hall. They were concerned that the town should not be left abandoned. If there should be a fire or an accident some sort of organisation had to exist to prevent chaos. They established a committee representative of both groups. The members would sport a white armband to indicate their neutrality.

The next morning, the Germans arrived from both directions along Bialystok Road. The first groups came with guns at the ready and quickly established machinegun and anti-tank emplacements. A constant column of military traffic passed through the town.

At the same time, S.S. men rounded up every person met on the streets or who had been seen observing the troops. They were collected in the municipal gardens. Some people were brought from their houses and everyone there was kept under armed guard. A large proportion of these people were Jews since they lived in a heavy concentration along Bialystok Road. Women were crying with fear. By the evening, four hundred people had been gathered. A high ranking officer arrived and commanded that they all be released.

The next day, a crowd of Jews was forcibly collected in the Russian Orthodox Church at the centre of town. They were not allowed anything to eat and no one was permitted to supply them.

Rabbi Israel Halperin was asked to petition for their release. The senior officer of the occupation force had set himself up in a new house belonging to Joseph Schlachter. The rabbi did not want to abase himself before the Nazi. He waited a full day, praying the God might free the afflicted. That evening, however, he put on his Sabbath best and presented himself as a petitioner. A guard told him to wait outside the house. The officer came out and demanded

[Page 92]

angrily what he wanted. He begged for the release of the prisoners in the Russian church. The answer was brief. The officer would not speak to a Jew. He would have people detained at his discretion.

The Russian Orthodox priest also petitioned that the detainees be released on the grounds that they were being held in a place of worship. They were freed.

Then the looting by the German soldiers began. One of the first incidents was in Schneir's gallantries goods store. Mrs Schneier ran out on to the street and stopped a German officer wearing a red swastika armband. She begged him to stop the robbing of her shop – to no avail. They also looted all the fabrics from the textile factories.

Opposite Yehuda Kahan's chemist shop, a number of elderly Jews had been impressed to sweep the streets. They were hurried for working too slowly. By the 3rd day, things began to change. The military columns had halted their advance towards Sokolka and Grodno. They took over the market square, the area around the church, the park, the Polish school and its grounds. There were military camps everywhere with their artillery, tanks, motorcycles and transports and field kitchens.

On the 4th day, Meyshke Zadworanski told us that he had heard on the radio that the area around Bialystok was to be occupied by the Russians. The Germans also said that they were about to withdraw. Few slept that night as they listened to the sounds of movement and observed it secretly from their houses. The next morning there was not a sign of any Germans left in the town.

Mordechai Yurowietski, the tinsmith's son, raised a red flag on top of the fire station tower.

 

Wasilkow under the Soviets

Leaflets dropped by an aeroplane proclaimed “brothers and sisters of West Belo-Russia. On Comrade Stalin's instructions, the Red Army is coming to your assistance….”.

[Page 93]

A militia was quickly established by the left wing elements in the town. The streets were full of people laughing and chattering in holiday mood. No one wanted to go home in the evening for fear of missing an opportunity to welcome the Red Army. Only late in the evening did a black limousine slowly drive into town. It stopped and one of the men inside asked in Russian for direction to the house of Pan Wasilkowski. Wasilkowski worked as a machinist in a tannery factory owned by the Barasch brothers. The NKYD had a strong way of dealing with their agents.

The next morning the army arrived. The troops were quartered in town. Each morning they would march through the streets to their field kitchens singing heartily. Youngster would follow them and sing along when they could. These songs became very popular, especially “Katiusha”.

All commercial enterprises were nationalised. Small craftsmen were instructed to establish cooperatives. Avram Mendelewicz had operated a barber shop for years. He was ordered to close down and start up a cooperative. For that purpose, they took over Schneier's place. Motel Schneier and his family were only left with a small room and a kitchen in which to live. The town barbers, my father Schmuel Krinski and the Pole, Edward Ostoshewski (son of the Polish school caretaker) brought in all their gear and furnishings. Mindele, Levin's daughter, became cashier. The headquarters of the cooperative were located in Bialystok.

The municipal administration including the militia was headed by a man from Minsk. His second-in-charge was a fellow from Moscow known as the party secretary. Town life assumed a soviet cast. The new regime was run without the help of the local communists. The Russians did not trust them. In those early days, the Russians bought out all the stock of local shops. They wanted everything from razor blades, fake jewellery, scarves and handkerchiefs. And when their stocks were depleted, the shops

[Page 94]

remained empty due to lack of suppliers. They were classified as speculators and all of these shops were closed.

The administration organised bakeries so that people would at least have bread. It was hard to adjust to this situation. Long hours were spent standing in the bread queue and often only to reach the counter after they had run out of bread. In Bialystok one could, after hours of queuing and with luck, buy some sugar, herrings, flour and barley. Six to eight hours wait at the liquor stores might allow one to buy a litre or two of spirits which was the best commodity for bartering. Since most of the shops were empty and it was not known when deliveries would be received or even what products might be delivered, people would wander the streets and form spontaneous queues outside any shop that might have anything to sell at all. In this climate there was much illegal bartering. Alcohol was the most favoured medium of exchange. We learned to cope with this.

All Bundist and Zionist activities were banned. At least the prevalent anti-Semitism was no longer publicly evident. Everyone was to focus on the personality cult centred on Stalin. Whenever his image appeared on the cinema screen, for instance, the audience was expected to stand and applaud.

Cultural life was regulated by an official seconded from Minsk. This was a middle-aged Jewish woman who opened a club. This was open every evening to the youths of the town, eighty percent of whom were Jewish where they might find Russian soldiers playing harmonicas, dancing or screening films.

Various groups were set up. Drama – choir – orchestra and a dance group. The latter was a mix of Jews, Poles and Russian military. The dancers included David Shtabinski, Leon Mendelewicz, Michel Weiss, Brantshe Weiss, Minia and Rivka Spektor, Kolya the son of the machinist in Pretski's factory, Wanda Vashilkowska and others.

[Page 95]

These groups put on performances. The dance would be conducted by sergeant Pisorenko, the drama group performed in Yiddish, directed by Pesach Sud and the orchestra was conducted by Faiwl Shtabinski and Avram Polack. We participated in the folk festival for the whole of Western Byelo-Russia in Bialystok, in the Red Army Club. There was little freedom and no initiative allowed. The narrow ideological environment was stifling but anti-Semitism had been silenced and a real harmony grew among those youngsters who participated in these activities.

However, it was disquieting for all Jews, religious and non -religious when the Russians decided to turn the main synagogue into a club. This was happening in a lot of towns. We held a couple of protest meetings. Some non-Jewish people and Red Army men occupied the synagogue. In Wasilkow we protested to the cultural official who was Jewish. She insisted that she could do nothing and suggested that we approach the political commissar. He had a Jewish sounding name. He bragged that it was he who had suggested the conversion of the synagogue but he finally relented and left it untouched.

People who were classified as enemies of the state were transported deep into Russia. These included nationalists, officers, factory owners and their families. From among the Jews, the owner of Tartak Saw Mills – Myshke Zadwaranski and his family, Avram Kahan and his family and all the refugees who had come to the town were deported. These deportations were all carried out in the middle of the night by the NKVD. Rabbi Israel Halperin fled from the town for fear of persecution by the authorities for excommunicating a Communist Jew who had refused to have his new-born son circumcised.

Wasilkow was absorbed into Byelo-Russian Republic and we were all issued with Soviet passports.

The Hebrew school was closed down. The Sholem Aleichem Yiddish School foundered. The Polish school was converted into a state

[Page 96]

Russian school. The staff was replaced and the medium of instruction became Russian. There were conflicts between the remaining Polish teachers and the Polish speaking students on the one hand and the imported Russian staff on the other.

The program of Russification was given high priority. Evening classes were held. The new teachers consisted of a Jew, a Russian and a Chinese woman from Manchuria called Tien Shu Fu. They associated particularly well with the Jewish children.

Jews benefited from the Soviet occupation. It was hard to make a living but Bialystok was only seven kilometres away so that one could get essential goods for reasonable prices at the government stores which were better stocked as they became more established. Bialystok was second only to Minsk in importance and the Russians were determined to convince us that life was good in the Soviet Union. Jews felt assured of the military ability of the Russians to resist and ultimately destroy the Nazi.

 

Holocaust and Destruction

On the 22nd of June 1941, the town was awakened by the sound of nearby bombings/explosions. The Russian soldiers could not tell us what was going on. They had no idea themselves until late in the morning that the Nazi had attacked. The next day, the roads were blocked by streams of refugees and military traffic. Bialystok had fallen and the local administration was hurriedly packing a van in a hurry to depart. By the third day, the military had also gone. German planes strafed packed roads around Wasilkow.

The brothers Borukh and Naftole Katz took to the road and were killed. Gittel Katz was luckier. She managed to avoid the Germans and finally reached safety in Russian territory where she was exiled to the distant eastern territories. Despite the hardships she endured, she survived to reach Israel after the War.

On the 27th of June,

[Page 97]

Wasilkow was occupied once more by the Germans. It took one year, 4 months and 5 days to destroy the Yiddish community which had developed over a period of 500 years. The Nazi found plenty of local people (Poles) to assist them.

Before this, there had been little public anti-Semitic sentiments aired. Most Poles actually had Jewish employers in Wasilkow. Now they could be dispossessed. The intensity of the anti-Semitism which could now be given free rein is reflected in the fact that only one Jew escaped the destruction of the community. Jacob Sokolowich managed to survive in the fields and forests of the region with the help of some fine people from other towns but none from the Wasilkow Poles.

The Nazi administrator set himself up in Berl Mishkin's house on Bialystok Road. The police were recruited from among the local Polish anti-Semites.

The ghetto was instituted about six months after their arrival. The Jews were concentrated in the area around the synagogue. This ghetto was not fenced in as others ghettos were. There was not enough accommodation for everyone in the prescribed area so a number of people settled in the synagogue.

To illustrate the crowding throughout the ghetto, Zeydke Sokollowitz's house (the stonemason) contained: Zeydke's family of four; Isaiah Sokollowitz and his family of five; Yankel Sokollowitz and his family of three; Rosa Gutkes and her family of five; the blacksmith from Vonsove with his family of five and altogether about twenty people. In Shayke Polack's house there were a total of thirty persons. The crowding meant a decline in hygiene and resistance to infections and diseases that spread alarmingly. And yet, many had already left after the first pogrom and were quartered in the Bialystok ghetto.

It is necessary to show the houses that had been compulsory included in the Wasilkow Ghetto where the Nazi criminals crowded

[Page 98]

the Jews.

The houses are:

Yakimer Street
  1. Lenczyner (der shmetnik
  2. Shmuel Yanover (der melamed)
  3. Yakov-Aron Pilszczyk
  4. Shlejmke Wais
  5. Kejleczkes
  6. Sore Kaczkes
  7. Chaim Mielnicki
  8. Muler Spektor
  9. Zejdke Szwarc
Chaczkes Lane (Gesl)
  1. Boruch Kraviec
  2. Kalinski (Bund leader)
  3. Brothers Iczke, Jankel (joiners)
  4. Chackiel Chanacki
  5. Brajne Owsej (baker)
Kupiecka Street (Tevel Kamens)
  1. Shmuel Batlaj
  2. Mordche-Elie Ratowiecki
  3. Fajwl Inkier
  4. Pejsah Biber, Mendl Mandlkern
  5. Tevel Kamien
  6. Yakov-Mejshe Moed
  7. Beryl and Chaim (Moed's son-in-law)
  8. Elie Spektor
  9. Kaplan (Kaplaniche)
Synagogue Plac (Shulhoif)
  1. Efrojczyk Moel (Mazikim)
  2. Schmuel Moed
  3. Bobe Ruvens 'Lejkes house)
  4. Zejdke Sokolowicz (before Biber)
  5. Szajke Polaks
  6. Yankiel Biber (Mirkes)
  7. Zalmen Weler
  8. Majshe-Aron Spektor
  9. Iczke Shapiro
  10. Shebsel Winik
  11. Josel Mosiondz
  12. Lajbel Lenczyner
  13. Abram Shternshus
  14. Mindele Lewin
  15. Chackiel Yrowiecki
All the houses were old style timber houses with a maximum of one or two rooms and a kitchen (which meant there were over 39 per house. (1490: 38 – 39.21).

[Page 99]

When the Germans first came, there was a pogrom. Yente Melnitzki was a little girl who wrote to me: “… I only remember that there was a pogrom. Jews were being beaten and their houses were being plundered. I do not remember the precise dates. It was all like a murky dream. After the house was robbed, we went to Bialystok where we ended up in the ghetto”.

The first of these pogroms was not a general attack. It was a series of unorganised attacks by gangs of Poles on individual houses to rob and batter the inmates. A number of houses in Yakimer Street were terrorized by a group led by Fellek Zawadzki.

There was an organised pogrom with the intention to drown all Jews in the river “Suprasl” without the knowledge or participation of the Germans. The leader of this crew was one of the older sons of a peasant called Nichlai Dombrowski (A Pole). People were driven from their houses by louts that were armed with sticks. They were then chased along Bialystoker Road to the bridge over the river.

According to Mr. Yankl Sokolowitz, a this point, a German military limousine appeared with two officers aboard. It stopped in the midst of the crowd. One of the officers stood up and demanded to be told what was going on. When he learned that the Poles intended to drown the Jews in the river, he began to shout at them as they stood there with this sticks in hand: “Polish swine! Get out of here right now!” He then told the Jews to return to their houses.

The Germans and a troop of Polish police surrounded the ghetto. Nissel Grushkin was the first victim. He was shot dead in the street because they thought he was trying to escape.

Everyone had to wear yellow patches but many did not bother to do so except when leaving the ghetto to do business in town. The ghetto was administered by Pesakh Abramov and David Weiss. Food was not difficult to obtain. Since there were no walls, peasants – mainly

[Page 100]

White Russians and some Poles, could drive their waggons in and sell or barter food for household objects or valuables. Things were hard for the old people or those who had no possessions, but Abramov tried to ensure that they got something whenever he could. Sometimes a calf would be bought and Yitzhak Perlstein the butcher would slaughter it for sale.

One day, the Polish police gathered all the men in the water works yard. They selected all those whom they deemed able to work. These men were put to hard labour in the local stone quarry, loading timber in the hunting yards or similar work. Each group was escorted to and from work by a policeman.

Arbitrary terror was practised. One day the police chief, (Vaszcziniuk's son-in-law who lived in France for some time) had Artzick Minkin and Chaim Mishkin dig a hole in the ground and shot Artzick on the spot. Chaim pleaded for his life, greased the butcher's palm and was released. Many others were killed by Poles outside the ghetto area. Some by the local resistance group who had no love for Jews. The largest massacre was carried out as part of a general plan for the smaller towns and villages. It was carried out by the S.S. with the assistance of the Polish police.

One night they took a group of Jews from various places and drove them to the yard of Trilings Textile Factory over the “Suprasl” river and killed all of them. They were: Mothke Spektor; Abram Polak; Dawid Sztabinski; Elie Gotlib; Avreml Perelsztein; Chaim Rudes (son); Dowid Litwin and Meir Litwin.

According to official Polish statistics after the war, thirty four adults and fifteen children were killed. They were not acknowledged as Jews. Yet, the only non-Jews to be killed were Fellek Krasnicki and his wife Bolek Zawadski (Poles). Interestingly, Fellek's father had owned a pork

[Page 101]

butchery. He had been an enthusiastic anti-Semite before the war but after the occupation, he helped at every opportunity.

The Polish people in Wasilkow were past masters at Jew-baiting. As well as the above people, they were instrumental in the following eliminations and in various parts of the town:

Jankiel Lipsztein (killed between Suchonie and Wulki); Mejszel Sara-Kaczkes' grandson killed in the cemetery; Boruch-Leib Spektor (timber merchant killed near Czarno-Wies); Chone Perelszteins' wife and daughter killed near Rybniki; Moisze Polak shot in Wasilkow; Alter Maler (hidden for money) by his neighbour Klepacki who gave them over to the police and shot them; Fairwell Fiszer (butcher) shot in the street; Nisel Gruszkin shot in Jakimer Street; Arczyk Minkin shot in Pietrasze.

The final liquidation of Wasikow's Jewish community arrived. On the eve of 2nd November 1942 the ghetto was surrounded. Pesakh Abramow announced that all Jewish people were to prepare for transfer to a labour camp. Only the most essential possessions were to be taken along.

The German commander told Abramow that, if he wishes, he and his family could remain. The leader of Wasilkow's Jews refused to take advantage of the offer. He insisted that he was a Jew and would stay with his people. This was the spirit of our community.

Early the next morning, the inmates were loaded onto peasant carts which had been commandeered from neighbouring farms for the purpose. As crying women and children and frail old people were hurried onto the carts by German cries of:”Faster! Faster!, the local Poles stood by on the pavement and watched in smiling enthusiasm or simple indifference as the Jewish community was carted off. The column of transports

[Page 102]

departed in the late afternoon.

From Pitrasha hill, Wasilkow's Jews caught a last sight of their town. They were born and had grown up here. This had been their world.

The transit camp was the military barracks of the 10th Cavalry Regiment (Pulk), Bialystok. It was located for convenience beside Poleser railway line. All the ghettoes of the surrounding region around Bialystok had been emptied and the people were all dumped in the military barracks. There, they starved in foul conditions for 7-15 days. The weak and the sick died. A week later the survivors were crammed, up to 150 into each closed cattle waggon and sent off to Treblinka concentration camp.

Treblinka was where Wasilkow's Jews were exterminated. Whereas in Auschwitz, the sturdier arrivals were selected out for slave labour. In Treblinka there was no selection. Everyone was sent directly to their deaths. It took a maximum of about 2 hours. Arrivals would be marched straight to the “baths” where they were stripped naked. They were crowded into a chamber. Heavy metal doors were hermetically sealed. Zyklon, a gas, was released into the chamber. The corpses were quickly removed to allow for the next crowd.

Treblinka was devoted to the elimination, overwhelmingly of Jews, from the region of central Poland, Warsaw, Radom, Kalish, Czenstochowa, Schedletz, the Northeast including Bialystok, Grodno, Volkovisk, Lomzhe, Suwalk. Other transports arrived from Germany, Czechoslovakia, Belgium and even Greece.

The camp began operations on 23rd June, 1942. Most of the guards were Ukrainian volunteers. They wasted very little. Clothes and valuables were sorted for recycling. Hair was baled and sent to Germany.

The shame of the exterminations

[Page 103]

will remain like a black stain on the German nation and on those who witnessed what happened and did nothing about it.

 

wase103a.jpg
The arch-murderer commits suicide
SS Commander Heinrich Himmler took poison
and committed suicide after his capture by the British

 

wase103b.jpg
The notorious Buchenwald women camp guards

 

[Page 104]

Abraham Kane

Abraham Kane was born in Wasilkow in 1905. His mother and father also Wasilkow born. Mother before marriage was Haya-Sarah Shneier, the eldest daughter of the Shneiers.

 

wase104a.jpg
Abraham Kane

 

Abraham's father, Itzl-Itzhak Kane, was a prominent citizen inclined to Zionism, a good donor to the Jewish National Fund and a partner in a timber mill. His other two partners were his brother Jacob and Mr Moishke Jentchmenik. Abraham did well in school. He continued his studies at the School of Commerce in Bialystok. He planned for university but his father needed assistance in the busy mill. The timber industry was quite prosperous.

He decided to join his father, took over the bookkeeping and other tasks in the expanding business.

 

wase104b.jpg
Basha Kane

 

The early pioneers who formed the Zionist organisation were Abraham Kane, Noah Kane, Sarah Perlstein, Moishl Halpern, Hinda Kane (Paipiche's) Srolush, David Bachrach, Rayzl Poretzki and others.

In 1911, Abraham married Basha Blackarska, one of the most beautiful girls in Augustow. Basha remained his devoted wife until he died in Melbourne, at

[Page 105]

History is typical of many Jewish people caught up in the War storms. After their wedding, they settled in Bialystok. Later they moved to Augustow and owned a timber mill. In September 1939 the Soviets took over.

All enterprises were nationalised. Abraham was allowed to stay on as overseer till one dark night, there was a knock on the door. The dreaded N.K.V.D. and plan clothed police came. Abraham as a former capitalist was deported to cut timber in the Astrakhan district. The man could hardly survive in the very cold climate, poor conditions and constant hunger. There was no end to this misery for two years.

Basha followed her husband's fate in a similar manner. She was deported to a different area in Kazakstan in the Petro Pavlovsk area. She was allotted a little space in a room with another woman and child. She was put to work in the fields in the “Sovchozes” controlled by the Sel-Soviets, local authorities. She had to sell her belongings for food, for contacts and for information about her husband's whereabouts. She knew nothing about him for two years.

Finally, Basha wrote a letter to Comrade Stalin asking for information on her husband. One night, a knock came on the door. A message to report to the Sel-Soviets. An officer asked: “did you write to Comrade Stalin?”: “Yes, I asked where my husband is”. “Good, he is where he should be”. Quite an answer.

Meantime, Abraham received a food parcel from Basha's sister which contained Basha's address. He was able then to write to her. This coincided with the easing of the situation for former Polish citizens.

[Page 106]

The Polish government in London signed a treaty with Stalin. A new Polish army was formed in the Soviet Union. The Polish and Jewish convicts were free to volunteer for this army.

Basha sold some of her clothes to the wife of the Technology School's Director. She implored them to get Abraham over. Shortly after, Abraham arrived and got employment in the college.

Polish citizens in the Soviet Union formed the Union of Polish Patriots. Abraham got busy with them. After the war, the Kanes returned to their native Poland.

In the beginning, Abraham worked in a factory as Pan “Kaniewski”. Some members of the management regarded Cohen as not a suitable name in the factory. After a while, the “Kaniewski” transferred to post war Bialystok.

There was no question of returning to Wasilkow because of the Polish underground army which was determined to fight the “Bolsheviks” and the Jews.

There were several armed and blood thirsty bands. Abraham had lots of courage. One day he went to see the mill and the house where he lived. He saw some Poles who worked there for years. He knocked on the door of his house. A Pan Matia owned it now. He was from Shmulkis, the butcher street. Many of the Cohen furniture was still there, even the curtains. Abraham told the man that he would call again the next day to have another look around. He returned to Bialystock.

Late in the evening there was a knock on the door: “who is it?” a voice in polish replied: “It's me, Abraham Zaikowski”. This was a neighbour from near the

[Page 107]

mill where he and his family lived for years. They were loyal friends with the Kanes and the Jentchmeniks. He came to warn Abraham not to go to Wasilkow in the morning as a band would be waiting for him ready to kill. Pan Moita reported him to the bandits that he was after the contents of the house. This incident speeded up their decision to leave Poland.

They left for France and in 1947 got on to a French ship for a long voyage to Australia. Abraham got work with Mr. David Gotlib from Wasilkow.

Basha learned machinery with Mrs. Haya Goldberg, a very decent lady. She was paying a salary to the learner who trained but produced nothing.

One day Mrs Goldberg, her maiden name was Batlai, said to Kane: “Listen Abe, you are as smart as other, we will lend you the money and start up a business”.

He listened to the good advice of his friends, opened a store in Bell Street, Preston for sorting out all kinds of junk; metals, textiles, by products, etc.

Cohen Kaniewski did well in the business. He never forgot his heritage. He devoted time and energy in helping his Jewish people and the State of Israel.

[Page 108]

Jewish Historical Commission
Bialystok & District Authority (Wojwewodztwo)
Bialystock 9-11-1945
Times of German Occupation

Testimony written by Mendl Mielnicki born in Wasilkow and lived there until he was grabbed by the Nazi and transported to the dreaded Auschwitz. He survived and returned. Now in Bialystok.

“Wasilkow (pron.Vasilkoov) is a small town 7 kilometres from Bialystok going north. Before the war, the population was around 5000 including 1500 Jews.

Most Jewish people were employed in the textile industry. There were 5 large textile factories. There were also timber mills, flour mills and a tannery.

When the Germans attacked in 1939 and marched in Wasilkow, no great damage was done. Five days later, they left honouring an agreement with the Soviet Government to withdraw west. However, the five days were horrible. They gave us an idea what modern Germany was like.

The Nazi robbed the factories of all goods. They chased hundreds of gentiles and Jews into the Russian Orthodox Church and kept the people there one whole day as hostages. Any resistance would be punished with these people being shot.

After the Nazi left the town there was no authority for three days. The Poles were restless and menacing, but peace was restored when the Red Army marched in. In fact, the atmosphere became very joyful.

[Page 109]

The Reds brought films, theatre groups, arranged concerts, a good orchestra with a fine variety of instruments and a Balalaika (string) band. People felt free.

Jews who would not go to places where danger lurked were now free to enter any area. The expression “lousy Jew” was not heard any more. The good life did not last long.

22nd June, 1941. Suddenly during the night (Sunday eve), bombs were heard exploding on the railway line and at military objects in Wasilkow and the surroundings. Sunday was a day of great panic. The Germans declared war on the Soviets.

There was panic buying. The shops were emptied within hours.

The soviet military withdrew. A number of young Jews followed them. On Monday, Soviet people left with their families. Rumours amongst the peasants were that Jews will be murdered upon the German arrival.

One of the peasants came to us. He said Mielnicki's will be in grave danger. Father ran to the Soviet headquarters still in town. He asked for a permit to travel in a cart.

We packed quickly what was portable leaving all else in the house. The meal was ready we left everything on the stove.

We followed the Soviet people.

All around people regarded us as mad. They could not comprehend why we left our household and were running away. Where to? They asked. Travelling by slow horse and cart through the forest was frightful.

[Page 110]

The Soviet authority was still there yet the peasants were already robbing the stores. Rifle fire was constant. Bombs were dropping from planes; the roads were blocked with smashed soviet tanks. The Red Army were confused. Occasionally one group was shooting at other suspecting enemy forces. The situation was such that we had to return. We arrived at Zabludow.

The Nazi arrived on Wednesday evening. Thursday morning, Soviet artillery fired on the town. The Nazi decided to set the town on fire. The people ran into the fields, grabbing small items. Within an hour and a half, the township was gutted.

We sheltered in a barn. For a whole week we ate only potatoes retrieved from some cellars. A group of Polish peasants chased Jews out of town not allowing them to take anything with them. We returned to Bialystok. The rumours were that Wasilkow was peaceful. Our family went then to Wasilkow except father who decided to stay in Bialystok.

The Germans occupied Wasilkow on Wednesday morning. They took over first the Jewish houses as they were cleaner and more comfortable. All was quite peaceful for three weeks.

When the military moved east, a small command stayed. Only six elderly Germans.

The Poles then took the liberty to pull out Jews from their beds to be clubbed to death. These were the orchestra leader Avreml Polak, the crate maker's son Motke, Avreml's brother-in-law

[Page 111]

David Shrabinsk – a fine artist; Shie Mongele and Archik the Greek. The following Sunday, the Poles celebrated the “New Era”. They prepared clubs studded with nails, bolts, springs and cords and immediately after church service, attacked the Jewish quarters.

The real pogrom was in full swing. Old men and women, blood pouring from them, were chased to the river to be drowned.

I hid in some nook in the house and sister and mother were hiding in a neighbour's house. When I heard the front door broken down, I got up and jumped through the window. I ran inside the neighbour's house. I hid in a corner covered with furniture. Within 5 minutes, the door was broken down. The bandits beat up and wounded my mother and sister. Then they chased the women out. They did not notice me. My sister had the skin of her hands torn off. The cannibals were yelling: “no more Jews in Wasilkow”. The sick, the old and the pregnant were given no mercy.

As a result of the terrible pogrom, all windows were smashed in Jewish houses, photographs and pictures were broken up, bedding torn up and feathers flew around. Some mobster screamed: “don't damage – it's all ours”.

There were many wounded and killed. The few old Germans in command obviously not Gestapo came out and restored some order. They rang headquarters in Bialystok. A truck full of German soldiers soon arrived. They chased away some bandits and took films to show how “civilized Germans stopped Poles killing Jews”.

[Page 112]

When things quietened down around our house, I thought that some Poles would come to search and if caught they would torture me to death. I ran out. There was no one around. No Poles, no Jews. As I approached the German command, I saw groups of Jews bedraggled, wounded and in a miserable state. There was no room for us in Wasilkow anymore.

The following morning, mother, sister, brother and I left for Bialystok and joined our father.

Things quietened down in Wasilkow. Five weeks after the Nazi occupied the area, a ghetto was formed for the remaining Jews. The chairman of the council – Judenrat – was to be the drug store owner Abramow.

Some Jewish men were appointed as auxiliary police. Life became “normal”. People worked where work was available, but most had to exchange their little possessions for food. German policy was then to starve and weaken Jews and reduce them to living corpses.

This misery lasted 15 months. “The final solution” came on 2nd November, 1942. Military and Gestapo units surrounded the Ghetto. Jewish people were carted away to the barracks of the 10th brigade of the former Polish Army. Later, some were sent to labour camps such as Auschwitz and the rest were sent to the death camp Treblinka.

[Page 113]

Mendl Mielnicki

Mendl Mielnicki was born in Wasilkow in 1927. His father Chaim was a carter. He transported goods in his long cart drawn by one horse, sometimes two. Mother Esther came from Michalowa.

Chaim was an enterprising man. He gave up his cart and horse and bought a bus. His bus, named Express, ran regularly from Wasilkow to Bialystok and back.

In June 1941 the Germans came again. The local Poles took the opportunity to attack and rob the Jews. Chaim's house was the first in line.

The Mielnicki family ran away leaving everything behind. They settled in Bialystok ghetto. In 1942 the Germans split the family. Mendl at 15 looked very Aryan with his blond hair and blue eyes; however, he was caught and sent to the Pruzhany ghetto and later to Birkenau-Auchwitz. As young workers were needed for the German war industries, Mendl was sent to the Buna – I.G. Farben factory, joining other salve workers.

As other factories had greater priorities, Mendl was sent to the Nordausen “Dora Industries” where he worked from November 1944 to March 1945.

He got transported again to Bergen Belzen where he survived the terrible conditions and was liberated in May 1945 by the British Army.

Mendl Melnicki recovered miraculously and after a while he went back to Wasilkow. He found it impossible to stay on account of the Poles determination to hold on to the houses and goods that they had robbed from the annihilated Jews.

[Page 114]

He stayed in Bialystok for some time then left Poland in 1953 for France where he met a lady like him, a survivor of a concentration camp, and married. They left Europe for Canada where they reside today.

One is inclined to compare the fate of Mendl Mielnicki with Yankl Sokolowicz. He went through all the hells of the ghettos, slave labour, death camps and survived.

Of course the young age was a decisive factor. While Yankl's tribulations developed in him; initiative, intuition and judgement beyond human normal abilities.

 

Yenta Mienicki

She was Mendl's sister, the third person who survived the annihilation of Wasilkow Jewry. She went through hell man made by the Germans. She went to France after the liberation and married but her husband passed away.

A daughter decided on her future in Israel. She established a family there. Eventually Yenta left France, joined her nearest in Israel and lives there – a good distance from the lands of her past horrors.

[Page 115]

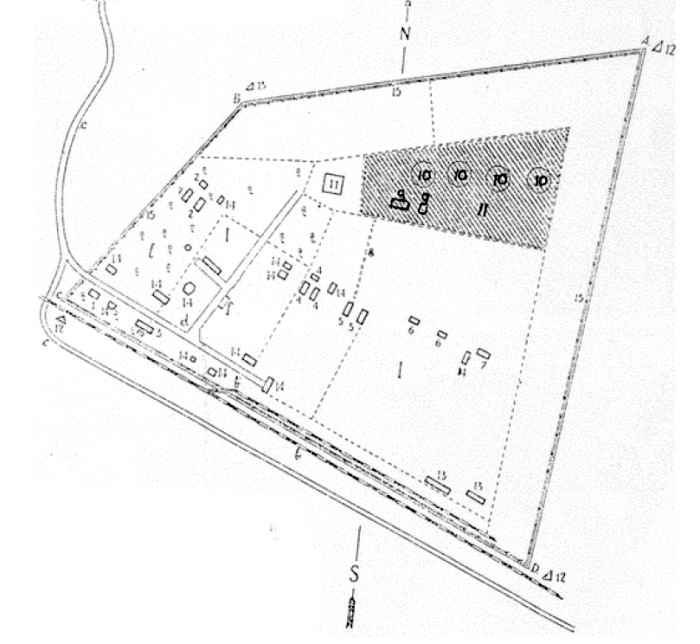
A diagram of the concentration camp of “Treblinka” where 600,000 Jews
were exterminated by the Nazi, including the Jewish people of Wasilkow.

wase115.jpg
Sketch of death camp “Treblinka”
  1. Guard house
  2. Barracks and kitchen for Ukrainians
  3. German barracks and armoury
  4. Jewish barracks, kitchen and workshops
  5. Undressing sheds for male and female
  6. Clothing sorting store
  7. Infirmary
  8. Road to gas chambers
  9. Gas chambers
  10. Body incinerators
  11. Rubbish incinerators
  12. Sentry post
  13. Goods storage
  14. Administrative blocks
  15. Barb wired barricades

 

« Previous Page Table of Contents Next Page »


This material is made available by JewishGen, Inc. and the Yizkor Book Project for the purpose of
fulfilling our mission of disseminating information about the Holocaust and destroyed Jewish communities.
This material may not be copied, sold or bartered without JewishGen, Inc.'s permission. Rights may be reserved by the copyright holder.


JewishGen, Inc. makes no representations regarding the accuracy of the translation. The reader may wish to refer to the original material for verification.
JewishGen is not responsible for inaccuracies or omissions in the original work and cannot rewrite or edit the text to correct inaccuracies and/or omissions.
Our mission is to produce a translation of the original work and we cannot verify the accuracy of statements or alter facts cited.

  Wasilkow, Poland     Yizkor Book Project     JewishGen Home Page


Yizkor Book Director, Lance Ackerfeld
This web page created by Max G. Heffler

Copyright © 1999-2025 by JewishGen, Inc.
Updated 21 Apr 2014 by LA