| 
 | 
54°14' 23°49'
I am pleased to acknowledge the assistance of Mr. Alan Cooper from Potomac, Maryland USA (descendant of the Vazbutsky family) in providing me with important material on Serey.
Serey, founded in the 16th century near a farm of that name, is located in the southeastern part of Lithuania, about 25 km southwest of the district administrative capitol Alytus, surrounded by many lakes. Later this farm was owned by the Polish noble family Radzivil, one of whose sons converted to become a Calvinist and thus Serey became the center of Calvinism in Lithuania at the end of the 16th century. At the end of the 17th century Serey received the rights of a town (The Magdeburg Rights) and later on many German artisans settled there.
Until 1795 Serey was part of the PolishLithuanian Kingdom, when the third division of Poland by the three superpowers of those times  Russia, Prussia and Austria  resulted in Lithuania becoming partly Russian and partly Prussian. The part of the state which lay on the left side of the Nieman river (Nemunas), including Serey, was handed over to Prussia which ruled there during the years 17951807. During these years Serey declined because of its commercial and economic separation from other towns of Lithuania. In 1797 1,094 people residing in 215 houses lived in Serey.
After Napoleon defeated Prussia and according to the Tilzit agreement of July 1807, Polish territories occupied by Prussia were transferred to what became known as the The Great Dukedom of Warsaw, which was established at that time. The King of Saxony, FriedrichAugust, was appointed Duke, and the Napoleonic code now became the constitution of the Dukedom, according to which everybody was equal before the law, except for the Jews who were not granted any civil rights.
During the years 18071813, Serey belonged to the Great Dukedom of Warsaw and was part of the Bialystok district. The Napoleonic Codex was then introduced in this region, remaining in effect even during the Lithuanian period. In 1808 Serey had a population of 1,100 people.
In 1815, after the defeat of Napoleon, all of Lithuania was annexed to Russia, as a result of which Serey was included in the Augustowa Province (Gubernia), and in 1866 it became a part of the Suwalk Gubernia as a county administrative center. In 1827 there were already about 2,000 inhabitants in Serey and during this period market days and yearly fairs took place and commerce flourished.
During the period of independent Lithuania (19181940) Serey was also a county administrative center. The invasion of the German army in June 1941 caused the demolition of almost all the town.
[Page 432]
Jewish Settlement until after World War I
The first Jews settled in Serey apparently at the beginning of the 18th century. They dealt in commerce, agriculture and fishing. Several Jews were owners of large farms (Garbarsky, Vazbutzky, Nun and Ziman), others traded with grains and made a good living. Many families maintained auxiliary farms near their houses, which they used to grow vegetables.
At the end of the 19th century, when a slowdown plagued the economy, many Jews emigrated abroad (England, USA etc.) In a list of Serey Jews who immigrated to America in 186970 there are eleven names (see Appendix 1).
In 1856 the total population of Serey was 2,138, of them 1,492 Jews. By 1897 there were 2,664 inhabitants in Serey, including 1,614 Jews.
Most of the houses were single family homes, built of wood with roofs of wooden shingles or straw, causing the inhabitants to live in constant fear of destruction by fire. Indeed in 1900 a big fire caused the decline of the local economy for many years. In 1912 a big fire burnt down almost half the town.
Jewish children usually studied in a Kheder, in a TalmudTorah school and in Yeshivoth. In 1887, the TalmudTorah under the supervision of the local Rabbi Yekhezkel Volpert, also taught arithmetic and Russian, in addition to the religious subjects. In 1873 professions were taught in the TalmudTorah and 40 children would come after school hours to learn a craft, Yiddish also being a subject which was taught there. These two things were exceptional in Lithuania of those days. The building of the TalmudTorah school erected by the donation of the local philanthropist Markus Meretsky.
During this year a Kheder Metukan (Improved Kheder) in a specially purchased building encircled by a garden, was founded. Fifty pupils, in the four rooms of the school under the instruction of four teachers, studied there and were taught, in addition to Bible and Gemara, also arithmetic and Russian. The teachers were: J.J.Vishaysky, M.M.Ragolsky, Y.Seinensky.
  | 
|
| The Old Synagogue | 
[Page 433]
Intellectually gifted youngsters, who did not have the opportunity or the means to get secular books, received various books from the Society for Spreading Knowledge among the Jews in Russia. The Hebrew newspaper HaMeilitz dated 28.12.1880, published in St. Petersburg, included a letter of gratitude to this society, signed by AsherTsevi Rabinson on behalf of the youngsters.
The KhibathZion movement started its activity in Serey in the 1880s, but by 1810 the name of Shaul son of Shimon from Serey was among the signatories of a letter from the Rabbis from EretzYisrael to their brothers in Lithuania about donations for EretzYisrael, and for Safed (Tsefath) in particular.
In the old cemetery of Jerusalem there is a tombstone of a Serey Jew: YehudahLeib son of Meir HaCohen, died in 1884 (5644).
The Rabbi of Serey, Yitskhak Aizik Volpert, participated as a Serey delegate in the regional conference of Russian Zionists which took place in Vilna in 1899. Serey Jews collected money for the settlement of Eretz Yisrael and on the eve of Yom Kippur 5653 (1893) they collected 50 Rubles, a considerable sum in relation to the number of Jews. The money was transferred to the center of Khovevei Zion in Odessa.
In lists of donors from Serey for the settlement of Eretz Yisrael, as published in HaMeilitz of the years 1884, 1898, 1899 and 1902, the names of hundreds of Serey Jews are mentioned. The treasurers were Rabbi Yekhezkel Volpert, YomTov Lipman Ziv, Dr.Kabaker, Sh.Z.Vazbutsky, Tsevi Simson and the teacher Refael Volpiansky. In the list of 1902 the names of 77 Serey Jews are mentioned (see Appendix 2), and in another list from 1909 the names of 47 Serey Jews appear (see Appendix 3).
  | 
|
| The Facade of the Synagogue | 
[Page 434]
The Serey synagogue was already built by 1726. It was a wooden building (see picture) of a specific style and in it a beautiful Aron Kodesh (Holy Ark) made from mahogany wood with intricate artistic carvings of lions, deer, rams, grapes, Shofars, Etrogim, Lulavim and cherubs.
In the synagogue daily studies were maintained by the Khevrah Shas (Talmudic Society), Khevrah Mishnah, Ein Ya'akov and the Tehilim Society.
![]()  | 
![]()  | 
|
| HaPoel Serey | Belongs to the Klois of the Holy community of Serey | |
![]()  | 
![]()  | 
|
| Ezrah (Help) Association of Serey | The Serey branch of the ORT Association | |
[Page 435]
The community possessed Pinkasim (Notebooks) from several societies which dealt with studying Torah, as from the middle of the 19th century.
The Klois was the praying house of the artisans and the poor.
All the community institutions were concentrated in the Shulhoif (the synagogue yard): The synagogue, the Klois, the bath, the Mikveh, the Hakhnasath Orkhim house (established by Markus Meretsky) and a well.
In a list of Jews paying membership fee to Agudath Yisrael, the names of 34 Serey Jews are mentioned (see Appendix 4).
In 1891 the existing welfare societies were reinforced: Lekhem Aniyim (bread for the poor); Hakhnasath Orkhim (hospitality for passersby); Malbish Arumim (care for clothing the poor). In 1896 the Linath HaTsedek society, headed by Rabbi R.Y.Volpert, was established. This society sought to cover all expenses of doctors and medicines for the needy.
The Rabbis who served in Serey during this period were:
Hayim Shimshon Vasertsug  known as the Filipover, lived in Serey approx. between 18401850, died in 1865; Yosef Elkhanan HaLevi, 18011877, in Serey from 1853 till his death; Gershon Rabinson, served from 1876, died in 1908 in Cleveland; Avraham Tsevi Pinkhas Eliashberg, 18631943 in Jerusalem, in Serey 19011908, emigrated to Eretz Yisrael in 1929; Yekhezkel Volpert ,in Serey 18801900, died in 1910.The Gaon, Rabbi Eliyahu from Vilna, lived in Serey for one year, during Prussian rule in the house of Yisrael Berliner a rich man and a scholar. Here he completed his book Adereth Eliyahu and was friendly with the local Tsadik Hayim Filipover. Possibly the reason the Vilna Gaon spent time in Serey was that his second son Rabbi Yehudah Leib lived there. Yehudah Leib was the soninlaw of a rabbi of Serey, Rabbi Avraham ben Yekhezkel (of Lazdey). Several sons of Yehudah Leib lived in Serey with their families:
Rabbi Yosef Yekhezkel Wilner (17881849) and Rabbi Tuviyah Yurbarsky (c.17891867). The former is buried in Serey and the latter in Jerusalem.
Yehudah Leib is not buried in Serey as he died in 1816 whilst traveling through Naishtot (Then Wladislawow).
There was a story in Serey that the street in which Rabbi Eliyahu resided was never touched by fire during his stay there, despite the many fires in the town. David Gordon, the editor of the first Hebrew weekly newspaper HaMagid, lived in Serey for six years. This weekly was printed in Prussia (18561890) near the Russian border, because of problems with the Russian censor.
For the list of the reporters who wrote for the Hebrew periodicals HaMeilitz, HaMagid and HaTsefirah see Appendix 6.
Before World War 1 about 1,800 Jews lived in Serey. During the war, on the first of April 1915, the Russians exiled them to Russia.
[Page 436]
The Period of Independent Lithuania (19181940)
After the war ended half of the exiled Jews returned home to Serey. In accordance with the autonomy law regarding minorities, issued by the new Lithuanian Government, a Community Committee was elected at the beginning of the 1920s. 263 persons voted in the Committee elections in the autumn of 1923, and a Committee of 12 members was elected, headed by Dr.L.Finkel. The Committee was active till the end of 1925 when the autonomy was annulled. During its existence the Committee collected taxes as required by law and was in charge of all aspects of Community life. In 1922, for example, it imposed taxes on 133 people, which were divided into six categories. Fifty eight percent of the income was collected from the first two categories who comprised only 25% of all the assessed.
The budget for the six months 1.6.192231.12.1922 was 177,800 Lit (Litas) and was divided up into to the following paragraphs:
46.0% for the Rabbi and the Shohet (Slaughterer). This money did not come from the taxes collected by the Committee.
6.7% for the Committee secretary,
17.0% as a subsidy for the doctor,
17.0% for social assistance,
3.0% for the library,
0.6% for rent and maintenance of the office,
0.6% for the Shamash (janitor),
2.4% as a 10% tax for the Nationalrat (The National Committee of Jews in Lithuania),
6.7% unforeseen expenses.
The successor of the Committee was the Ezrah Society which took over almost all the functions of the Committee. In Lithuanian it says: Serey Jewish welfare, social help and culture society Ezrah.
Four Jews were elected to the municipal council in 1924.
Serey Jews made their living from commerce, crafts, light industry, agriculture and fishing. There were also peddlers who earned their living by going to villages in the vicinity, selling, buying and bartering on the spot.
According to the 1931 government survey of shops, Serey had 30 shops, 29 of them owned by Jews (97%).
[Page 437]
The breakdown according to the type of business is given in the table below:
| Type of the Business | Total | Owned by Jews | 
| Groceries | 2 | 2 | 
| Grains | 3 | 3 | 
| Butcher's shops and Cattle Trade | 2 | 2 | 
| Restaurants and Taverns | 4 | 4 | 
| Food Products | 1 | 1 | 
| Beverages | 1 | 1 | 
| Textile Products and Furs | 6 | 6 | 
| Leather and Shoes | 4 | 4 | 
| Medicine and Cosmetics | 1 | 0 | 
| Radio, Bicycles and Electric Equipment | 1 | 1 | 
| Tools and Steel Products | 4 | 4 | 
| Miscellaneous | 1 | 1 | 
According to the same survey Serey had 19 light industry factories, 11 of them owned by Jews (58%), as can be seen in the following table:
| Type of the Factory | Total | Owned by Jews | 
| Metal Workshops, Power Plants | 3 | 2 | 
| Headstones, Bricks | 1 | 0 | 
| Chemical Industry: Spirits, Soaps | 2 | 1 | 
| Textile: Wool, Flax, Knitting | 2 | 2 | 
| Sawmills, Furniture | 2 | 0 | 
| Food industry | 5 | 3 | 
| Dresses, Footwear | 2 | 2 | 
| Leather Industry: Production, Cobbling | 1 | 1 | 
| Others | 1 | 0 | 
The Tzviling family owned a flour mill, a power station and a metal workshop.
YitzhakHirsh Slavatitzky owned a light drinks and beer factory, Moshe Finkel owned the only hostel in town and also a big spinnery.
Jewish shops were concentrated around the market square and their main income was on market days, which took place twice a week, on Tuesdays and Fridays, and at the 16 yearly fairs. Some shops were close to the Catholic Church and as a result of pressure by the priests most of them were destroyed, the pretext being that in a few years the square would become a public park for the benefit of all. By 1936 only two Jewish shops were still left in the square.
Several Jewish families earned their living from fishing in the Nieman river and in the nearby lakes. In 1937 Serey counted 70 Jewish artisans: 20 shoemakers, 9 butchers, 7 tailors, 6 bakers, 4 oven builders, 4 blacksmiths, 3 hatters, 3 stitchers, 2 glaziers, 3 barbers, 2 locksmiths, 2 watchmakers, 1 knitter, 1 dressmaker, 1 leatherworker, 1 cord maker and 1 photographer.
[Page 438]
  | 
|
| 
The Boarding House of M. Finkel (Picture supplied by Alan Cooper)  | 
The Folksbank played an important role in the economic life of Serey Jews, and had 176 members in 1927. There was also an active branch of The United Society for Credit for Jewish Agrarians in town. In 1939 Serey had 30 telephone subscribers, half of them Jews.
As a result of the agrarian reform carried out by the Government, most of the Serey Jewish lands were taken away from their owners, causing many Jews to abandon their participation in agriculture. The Lithuanian Merchants Association  Verslas established consumer coops and ran a strong propaganda campaign against buying in Jewish shops. The result was a deterioration of the economic situation of Serey Jews, many left the town emigrating abroad, mostly to America, Mexico and South Africa. Among the youth many immigrated to Eretz Yisrael.
In order to consider the establishment of a school for Jewish children the Committee carried out a survey of children aged 714 in 1923:
Age 7: 14 children Age 8: 25 children Age 9: 21 children Age 10: 26 children Age 11: 19 children Age 12: 32 children Age 13: 18 children Age 14: 10 children 
Altogether there were 165 children eligible for an elementary school.
Based on this survey a Hebrew school of the Tarbuth chain was established in Serey.
[Page 439]

[Page 440]
It was located in a three storey house built for that purpose. This building also housed a library with several hundred Hebrew and Yiddish books as well as a reading room where available newspapers were located.
The gymnastic hall of Maccabi was also in this building, and the activities of the school were supervised by a parents council.
![]()  | 
| Stamp of the Hebrew and Yiddish Library | 
There was a TalmudTorah and a government school for carpentry, but only one Jewish boy studied there (in 1936).
Almost all the Zionist parties had adherents in Serey, as can be seen from the results of elections to Zionist Congresses in the table below:
| Congress Nr.  | 
Year | Total Shekalim  | 
Total Voters | Labor Party
  | 
Revisionists | General Zionists
  | 
Grosmanists | Mizrahi | ||||||
| 14 | 1925 | 73 |  |  |  |  |  |  |  |  | ||||
| 15 | 1927 | 61 | 44 | 14 | 4 | 10 | 16 |  |  |  | ||||
| 16 | 1929 | 145 | 82 | 30 | 13 | 20 | 19 |  |  |  | ||||
| 17 | 1931 | 154 | 154 | 74 | 25 | 43 | 8 |  |  | 4 | ||||
| 18 | 1933 |  | 261 | 170 | 75 | 12 |  | 1 | 3 | |||||
| 19 | 1935 |  | 318 | 230 |  | 5 | 9 | 47 | 27 | |||||
In addition to the Zionist parties, a branch of WIZO (Women International Zionist Organization) with about 50 members was active in town. Also Zionist youth organizations, such as Gordonia with about 6070 members, HaShomerHaTsair and Betar. The activists of the Gordonia branch were: Yekhezkel Berent, Asher Berent, Betsalel Aminadav, Ze'ev Shalkovsky.
Sports activities took place in the branch of Maccabi with about 50 members and in the HaPoel branch.
Donations for the Jewish National Fund  KKL  were regularly collected and most of the Jewish houses had the KKL Blue Box.
In the 1920s a Kibbutz Hakhshara was established on the farm of NunZiman.
[Page 441]
In 1934 an Urban Training Kibbutz of HeKhalutz existed, and there was a Volunteer Fire Brigade, all of whose members were Jewish.
Religious life was concentrated around the old synagogue and the Klois. The Rabbis who served were Yisrael Goldin (1874?) in Serey 19091924, Eliezer Shchupak, 18771939, in Serey 19301939, and the last Rabbi was A.Karno.
The welfare societies consisted of Ezrah, BikurKholim, Linath HaTsedek and others. There was also a Khevrah Kadisha.
For the partial list of personalities born in Serey see Appendix 5.
  | 
|
| 
The Jewish cemetery as photographed by Hana Rosen in August 1998 (Picture supplied by Alan Cooper)  | 
During World War II and thereafter
World War II started with the German invasion of Poland on September 1st, 1939, and its consequences for Lithuanian Jews in general, and Serey's Jews in particular, were felt several months later.
In agreement with the RibbentropMolotov treaty on the division of occupied Poland, the Russians occupied the Suvalk region, but after delineation of exact borders between Russia and Germany the Suvalk region fell into German hands. The retreating Russians allowed anyone who wanted to join them to move into their occupied territory, and indeed many young people left the area together with the Russians. The Germans drove the remaining Jews out of their homes in Suvalk and its vicinity, robbed them of their possessions, then directed them to the Lithuanian border, where they were left in dire poverty.
[Page 442]
  | 
|
| 
The monument at the entrance with the inscription in Yiddish: The old Serey cemetery, sacred is the memory of the dead (Picture supplied by Alan Cooper)  | 
  | 
|
| 
An old tombstone at the cemetery (Picture supplied by Khana RatsRabinovitz)  | 
[Page 443]
  | 
|
| 
The tombstone of Etil Finkel, daughter of Avraham Ipp, died in 1806 (Picture supplied by Hana RatsRabinovitz)  | 
The Lithuanians did not allow them to enter Lithuania and the Germans did not allow them to return. Thus they stayed in this swampy area in cold and rain for several weeks, until Jewish youths from the border villages smuggled them into Lithuania by various routes, with much risk to themselves. Altogether about 2,400 refugees passed through the border or infiltrated on their own, and were then dispersed in the Suvalkija region. Serey was obliged to absorb 50 refugees.
In June 1940 Lithuania was annexed to the Soviet Union and became a Soviet Republic. Following new rules, several factories and shops belonging to the Jews of Serey were nationalized and commissars were appointed to manage them. All the Zionist parties and youth organizations were disbanded, several of the activists were detained and Hebrew educational institutions were closed.
Supply of goods decreased and, as a result, prices soared. The middle class, mostly Jewish, bore most of the brunt, and the standard of living dropped gradually. At the beginning of June, one Jewish family  four persons of the Tsviling family  whose enterprises were nationalized, were exiled deep into Russia.
[Page 444]
On the 24th of June, two days after the beginning of the German invasion, the German army, after heavy bombing, entered Serey, where a large part of the town, mostly Jewish homes, had been destroyed. The victims found shelter on the farm of Yosef Garbarsky, about one kilometer from the town.
The Lithuanians immediately started to persecute and abuse the Jews, and of them, mostly youngsters, were detained as communist suspects, and shot. There was the local physician Dr. Hershl Garbarsky, who was very popular in the town and its vicinity especially among the Lithuanian peasants, for curing the poor and charging no fee, and in addition giving them money to buy the medicines. Lithuanian youngsters called him to a patient, and on his way there they murdered him, throwing his body into the garden near his house. Serey Jews went to his funeral crying and with ominous foreboding regarding the future.
Several days later the Lithuanians detained a large number of Jewish youngsters, leading them in the direction of Alytus for socalled work and murdered them on the way. Zelig Ratchkovsky, a middle aged man, was ordered, together with several Lithuanians, to transport these people on his cart, but he never returned home. The murderers, apparently, did not want him to tell what had happened to his travelers.
Serey Jews had to perform various types of forced labor, such as repairing roads etc. Every morning they were taken to work, returning home in the evening. They did not suffer from a shortage of food. Rumors about the good situation in Serey reached Serey Jews in Kovno by way of a Lithuanian, as a result of which many Jews left their flats there and returned home, after paying much money to Lithuanians who agreed to take them back on horse carts, because this was the only means of transportation allowed for Jews.
The annihilation of Serey Jews apparently took place on the 18th of Elul 5601 (September 10th, 1941). All the men were led to the Abreisk grove (Barauciskes) about 3 km southeast from Serey, one km from the road to Leipun (Leipalingis) and there they were shot and buried in pits they had dug themselves as channels. On the next day the women and children were brought to the same place and were shot. All the Lithuanian dignitaries of Serey, such as the cultured population and the teachers, were present during the murder executed by their own folk.
229 men, 384 women and 340 children, altogether 953 people, are buried in the mass graves.
After the war the few survivors erected a monument on the graves, and in the 1990s the inscription on the monument was replaced by a new one (see photo on next page).
In Appendix 7 is presented the map of Serey and the list of the Jews in town in 1941.
[Page 445]
  | 
|
| The Barauciskes grove with the mass graves | 
  | 
|
| The monument on the mass graves | 
[Pages 446-449]
  | 
|
| 
The inscription on the monument in Yiddish and Lithuanian: Here was spilled the blood of 953 Jewschildren, women, menwho were brutally murdered by the Nazi murderers and their helpers on September 11th, 1941.  | 
(Hebrew Het like Hanuka is transliterated as kh)
Serey Jews who emigrated to America in 186970
E.Bergman
A.Bitskovsky
L.Brudzinsky
L.Dushvitsky
A.Katz
A.Krepky
R.Levin
A.Losdoisky
S.Savsberg
S.Shalme
G.Trotsky
List of donors for the Settlement of EretzYisrael in 1902 as published in HaMelitz
Berent Shevakh
Bialostotzky YehudahLeib
Broide Yisrael
Bunishky Hayim
Khazan Tsevi
Dolkovsky Eliezer
Eilevitz AryehLeib
Eilevitz NakhumMeir
Eishovitz MoshehYehudah
Epshtein Yonah
Finkel EliezerZe'ev
Frank Eliezer
Frank Mosheh
Garbarsky Eliezer
Garbarsky Yosef
Garbovsky Tsevi
Goldberg Ya'akov
Golub MenakhemMendel
Gutman Zundl
Gutshtein AryehLeib
Heiman Iser
Horvitz DovBer
Kash AryehLeib
Kalmansky Reuven
Keili Tsvi
Kempnitzky Avraham
Kabaker Hilel
Kabaker Mordehai
Kabaker Yekhezkel
Kabaker Yosef
Kopelman AryehLeib
Lipsky ShemuelPesakh
Man Mosheh
Margalioth YehudahLeib
Meretzky Eliezer
Meretzky Alter
Miler Ozer
Mishkotz Leib
Mitnik Shemuel
Mordokhovitz AvrahamYitskhak
Nun Mordehai ben Avraham
Nun Mordehai ben Yehoshua
Nun Avraham
Pinkhovsky AryehLeib
Plotzitzky AryehLeib
Prusak Eliezer
Rabinovitz Mosheh
Rabinovitz Shimon
Ragolsky MeirMordehai
Ratchkovsky Yitskhak
Rogovsky Hayim
Rotenberg Yitskhak
Rotzon Shelomoh
Rozenberg AryehLeib
Rozenberg DovBer
Rozental ShemuelEliezer
Sandler Alter
Shalkovsky AvrahamYitskhak
Shalkovsky Shelomoh
Shalkovsky ShemuelMosheh
Shmidt Mordehai
Shmidt Yehoshua
Shmidt Yitskhak
Sider Yisrael
Slavatitzky Aba
Slavatitzky Elkhanan
Slavatitzky Yisakhar
Solnitzky Mosheh
Strazh Zelig
Surison TseviAryeh
Tsirinsky AryehLeib
Tsviling DovBer
Veiser Shemuel
Volpiansky Rafael
Vazbutsky ShelomohZalman
Zef Avraham
Zuskin Tsevi
List of donors for the Settlement of EretzYisrael in 1909 (47 names) as published in HaMelitz
Aronson Benjamin Meir
Bialostotsky Yehudah Leib
Brodov Aryeh Dov
Fagir Noakh
Finkel Eliezer Ze'ev
Frenkel Yosef Davidv Garbarsky Yosef
Garbarsky Tsevi
Garbarsky Yerukham
Heiman Iser
Hurvitz Ya'akov
Ivri Shelomoh
Iran Alter
Kalmansky Azriel Yitskhak
Kash (?)Aryeh
Kleinzon Hilelv Kopelman Aryeh
Krinsky Mosheh
Kursniansky Avraham
Dr. Linsky Ya'akovv Lipsky Shemuel Pinkhas
Miler Menukhah
Nun Mordehai
Pinkovsky Aryeh Leib
Prusak Eliezer
Prusak Yisrael Aharon
Prusak Hayim Yehudah
Ragolsky Meir Mordehai
Ragovsky Hayim
Ratsan Shelomoh
Ratchkovsky Ya'akov
Ratchkovsky Yitskhak
Rozentsveig Yehudah
Rozenberg David
Selsky Aharon
Senevitz Eliezer David
Shalkovsky Shemuel Mosheh
Shalkovsky Dov
Shalkovsky Tsevi
Shmidt Yitskhak
Simson Tsevi Aryeh
Tsviling Dov
Vazbutsky Zalman
Vazbutsky David
Zef Avraham
Zif Eliezer
Ziskin Tsevi
List of Payers of yearly Membership Fees for AgudathYisrael
Rabbi Yisrael Goldin
Avraham Zef
AryehLeib Pinkovsky
AryehLeib Avnerv Eliezer Meretsky
Aharon Bernet
Eliezer Ritz
Aba Yablonsky
Gershon Heiman
Dov Tsviling
Dov Slavatitsky
DovAharon Brodov
Dov Shklarovsky
Henie Ratz
Ze'ev Shklarovsky
HayimYosef Dunishky
Hayim Shulzinger
Khava Vazbutsky
Yekhezkel Kabaker
Yekhezkel Aminadav
Mordehai Brodovsky
Mordehai Kagan MenakhemMendel Shatz and Shub (Khazan and Shokhet)
YehudahLeib Kriger
Yisrael Sider
Mosheh Shvartsbord
Mosheh Bogdansky
Etel Ragolsky
PinkhasZelig Strazh
Shemuel Fordshtein
Shabtai Srolovitz
Shelomoh Slavatitsky
Shimon and Tanhum Abelsky.
Partial List of Personalities born in Serei
EliezerYitskhak Shapira (18351915) writer and Hebrew translator, published stories and articles in the Hebrew press.
Paul T. Goodwin (Pesakh Gudansky) (1885?) from 1907 in the USA, published stories and poems in the Yiddish press: Freie Arbeiter Shtime and Forverts.
Yehoshua Ziman (1898?) economist, from 1924 in EretzYisrael, published many books in Hebrew on the economy and the settlement of the land.
Henakh (Genrik) Ziman (19101987), a son of farm owners, teacher at the Yiddish Shalom Aleikhem High School in Kovno and in 1940/41 its headmaster, member of the underground communist party from 1932, escaped to the USSR at the beginning of World War II and was parachuted into the woods of Belarus, organized the Lithuanian Partisan Brigade in the Rudniky woods in 1943 becoming its commander. He was appointed as the editor of the communist newspaper Tiesa (Truth) after the liberation of Lithuania and was a strong opponent of Zionism throughout his life.
The Brothers Tankhum, Tsevi and Eliezer Rozentsvaig, educators and Zionist activists.
Rachel RozentsvaigLevin (daughter of Eliezer), founder and director of the archives of the Association of Lithuanian Jews in Israel.
The Reporters from Serey in the Hebrew periodicals HaMelitz, HaTsefirah and HaMagid:
David Robinzon,
HayimYehudah Gazansky,
AharonDavid Meltser,
EliezerYitskhak Shapira,
Y.Weisbrem,
Meir Hurvitz,
Alexander Maimon,
Y.Kalmansky,
MordehaiOzer Simansky,
HayimYehudah HaCohen,
Y. Broido.
[Page 450]
Compiled by Ya'akov Lifshitz
  | 
|
| 
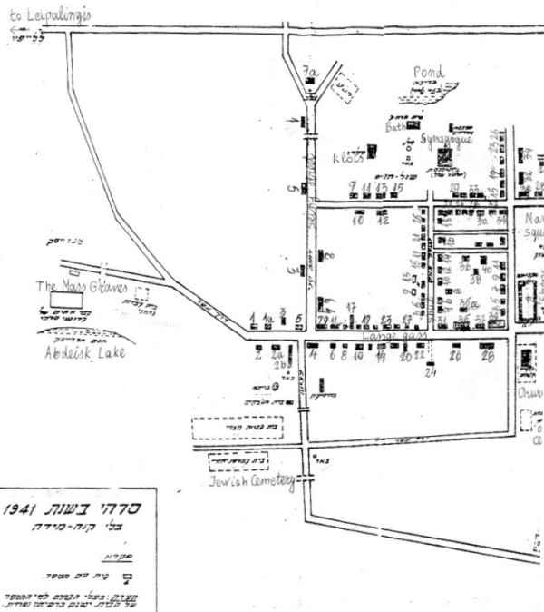
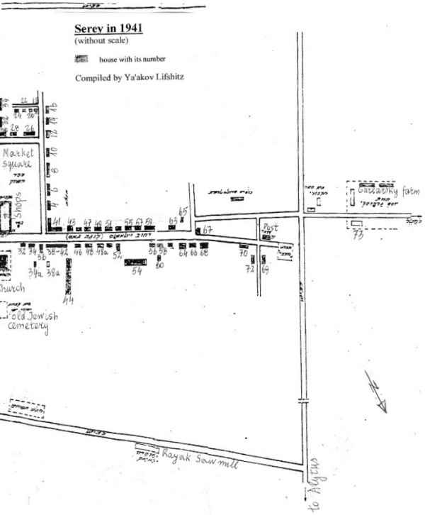
List of Serey Jewish house owners who perished in the Holocaust according to the street in which they lived. The numbers of the list are identical to the numbers of the houses. (see Map)  | 
[Page 451]
  | 
|
| (Map supplied by Alan Cooper) | 
[Pages 452-454]
Vytauto Street Di Lange Gass
The Market Square
Seiny Street
Shul Gass (Synagogue Street)
Shops at the Market Square
Bibliography
YadVashem Archives: M1/Q1333/142; M33/994
Koniukhovsky Collection 071, Files 131.
YIVO, NY, Collection of the Jewish Communities in Lithuania, Files 153, 685699, 1669.
Morris S. Schulzinger, The Tale of A Litvak. Philosophical Library, New York 1883
HaMeilitz (St. Petersburg) (Hebrew): 10.8.1880; 19.10.1880; 2.11.1880; 28.12.1880; 1.11.1881; 7.8.1883; 22.10.1886; 29.6.1887; 1.10.1887;
Dos Vort, Kovno (Yiddish): 17.12.1934, 20.8.1935.
Folksblat, Kovno (Yiddish): 10.7.1935
Di Yiddishe Shtime (The Yiddish Voice) Kovno (Yiddish): 25.8.1936, 14.4.1938, 29.6.1938.
Naujienos (Chicago)11.6.1949
Reconstructionist NY, 8.3.1946, page 1017
Dzuku Zinios (Lithuanian) NR.57,29.7.1992
| 
 | 
JewishGen, Inc. makes no representations regarding the accuracy of the translation.The reader may wish to refer to the original material for verification.
 JewishGen is not responsible for inaccuracies or omissions in the original work and cannot rewrite or edit the text to correct inaccuracies and/or omissions.
  Our mission is to produce a translation of the original work and we cannot verify the accuracy of statements or alter facts cited.
 
Preserving Our Litvak Heritage
  
 Yizkor Book Project
  
 JewishGen Home Page
Copyright © 1999-2025 by JewishGen, Inc.
Updated 02 Dec 2018 by JH