« Previous Page Table of Contents Next Page »



[Page 119]

Naishtot
(Kudirkos–Naumiestis, Lithuania)

54°46' 22°53'

Naishtot – in Yiddish – is situated at the south–western part of Lithuania near the border with East Prussia (now Russia) where the small stream, Shirvinta flows into the Sesupe river. The Shirvinta stream was the border between Lithuania and Prussia and a concrete bridge linked Naishtot with the Prussian town Schirvindt.

Naishtot is listed by the name Novomiasto in documents dating back to the sixteenth century. In 1643 Queen Cecilia Renate granted the town the Magdeburg Rights (Self Rule) and named it Wladislawow – after her husband King Wladislaw the Fourth.

Until 1795 Naishtot was part of the Polish Lithuanian Kingdom. After the third division of Poland by the three superpowers of those times – Russia, Prussia and Austria Lithuania became partly Russian and partly Prussian. The part of the state on the left side of the Nieman River (Nemunas), including Naishtot, was handed over to Prussia, and this town, called then Neustadt was under the Prussian rule from 1795 until 1807. During these years Naishtot was a county administrative center.

After Napoleon defeated Prussia, according to the Tilzit agreement of July 1807, Polish territories occupied by Prussia were transferred to what became known as the “The Great Dukedom of Warsaw”, established at that time. The King of Saxony, Friedrich August, was appointed Duke, and the Napoleonic code then became the basis of the constitution of the Dukedom, according to which everybody was equal before the law, except for the Jews who were not granted any civil rights.

During the years 1807–1813, Naishtot belonged to the “Great Dukedom of Warsaw” and was part of the Bialystok district. The Napoleonic code was then introduced in this region, remaining in effect even during the Lithuanian period.

In 1815, after the defeat of Napoleon, all of Lithuania was annexed to Russia. As a result, Naishtot was included in the Augustowa Region (Gubernia), and in 1866 it became a part of the Suwalk Gubernia and a county administrative center.

In 1819 Naishtot was renamed Wladislawow, and it endured till World War I.

In 1835 there were 350 houses in town; 60 of them were built of bricks. That year Naishtot had 4,413 residents, 3,348 Jews among them – (76%). After the big fire of 1865 many brick houses replaced the burnt wooden homes .

Under the Russian rule Naishtot started to grow, and in 1867 the town was declared a district administrative capitol. The reasons for this urban sprawl was due to improved roads and the resulting trade with Germany . With the construction of the new railway connecting St. Petersburg to Berlin in the middle of the 1860s, the importance of Naishtot as a district administrative capitol decreased.

[Page 120]

At the beginning of World War I Naishtot passed from one government to another several times. In the spring of 1915 it was occupied by the German army remaining in control of the area until the end of 1918. As a result of fighting more than a quarter of the homes in Naishtot were destroyed.

When the Lithuanian state was established after World War I, the district administrative capitol was moved to Shaki (Sakiai) and the economy of Naishtot suffered. The only governmental institutions left in town were the border guard unit, the border crossing point, customs station and the county court.

In 1934 a memorial was erected in honor of the doctor and poet Vincas Kudirka who was born and buried in Naishtot. He was the author of the Lithuanian anthem. Since that time the town was called Kudirkos Naumiestis. This name was not subject to any changes during the Soviet rule 1940–1941.

In the years 1941–1944 the town was under Nazi rule with all the atrocities and murders characteristic of the regime.

During the struggle for liberation against the Nazis in 1944, a great part of the downtown core was destroyed.

 

The Jewish Settlement till after World War I

In 1643, when Naishtot was granted the Magdeburg Rights, Christian inhabitants asked the authorities to forbid Jews to live in the town. According to the available data it seems that in the middle of the 17th century Jews had already been living in Naishtot, but according to the inscriptions on the old tombstones at the Jewish cemetery, Jews settled in Naishtot at the beginning of the 18th century. Initially Jews settled around the Synagogue and the Beth–Midrash, and in the quarter near the Sesupe river. The big fire of 1865 caused the destruction of this quarter. Later the Jewish area spread out, and the burnt wooden houses were replaced by brick homes.

During the Prussian rule (1795–1807) the government promised a prize of 1,500 Marks to a person who will be the first to build a solid building in town (the building was not to be built in wood) . The prize was awarded to Yitskhak Abelson, the son of the local Rabbi, Aba Abelson.

In 1797, 429 Jews and 565 Christians lived in town.

In May 1881 a large fire destroyed 200 Jewish and Christian homes and all belongings. A help committee was established who dealt with distribution of the money, food and clothing received from the neighboring Jewish communities and Jewish philanthropists abroad. Thanks to the work of the committee the victims of the fire avoided starvation and helped rebuilt some of the houses. In 1887, another fire destroyed 87 houses and in 1889 in just two weeks two fires broke out and 20 houses were burnt.

In 1871 and in 1893 the town endured a cholera epidemic.

[Page 121]

At the end of the 19th century the Jews of Naishtot owned 2 leather processing shops. Before World War I the Naishtot Jews had 4 brush manufacturing plants employing over 100 Jewish workers, 2 soft drink and beer factories, a silk spinning workshop with 40 workers and 60 apprentices. Jewish women worked at the cigarette factory in the neighboring German town of Schirwindt and made knitting products at home. Jews working in trades made a fine living. Among them there were 4 shoemakers, 3 tailors, 2 tinsmiths, 1 cooper, 1 locksmith, a few producers of carts and cabriolets and also roofing specialists and road pavers. Many worked in commerce. Successful merchants among them traded on national and international levels as exporters and contractors. They exported grains, vegetables, fruit and poultry mainly to Germany.

The proximity of the German border was an important factor in the life of Jewish shopkeepers. Germans would come to buy food products in Naishtot lured by cheaper prices. Bringing in different goods from Germany and selling them in Lithuania yielded an additional source of income for many Jews.

Another source of income was smuggling emigrants over the border to Germany. There were cases of fraudulent “smugglers” who would cheat the emigrants by taking away various items belonging to them. In other cases “the smugglers” would keep the migrants in the hostel longer than necessary in order to extort more money. Sometimes the smugglers would set their eyes on a young woman or a nice girl and would detain her longer than necessary. All this aroused indignation in the community and set the community against the “smugglers”. However, thousands of Jews who arrived in America with the help of these smugglers remembered them favorably, despite the fact that they had not always been treated fairly.

A few dozen Jewish families in town were agrarians. They owned more than 300 hectares of land and cultivated mostly grains. A part of the Jewish farms were conducted by modern means. Many Naishtot Jews had auxiliary farm facilities beside their houses.

In the same year the “Talmud–Torah” was established in town, and most of the Jewish children studied at the school. Hebrew, Russian and arithmetic were taught at the school as well. In 1887 the school was a solid school with an annual budget of about 1,000 Rubles. There were 4 classes with 4 “Melamdim” (Teachers). Some of the children studied at the Russian school. At the beginning of the nineteenth century, 20 Jewish, 80 Catholic and 50 Protestant students attended the Russian school.

In 1878 a Jewish school, subsidized by the government was open in town. The director of the school was A.Yevarkovsky and one of the teachers was Y.Rozer. These teachers established a library in 1879 where Russian and Hebrew books could be borrowed.

Zionist activity started in Naishtot in 1884 by the “Khovevei Zion” (Lovers of Zion) Society. The main activity of the group was fundraising on behalf of Eretz Yisrael. One of the fundraising activities was the sale of Moshe Montefiore's photographs. In 1899 the Society sent a delegate to the regional

[Page 122]

conference of the Zionist Societies in Vilna and in 1913 to Druskenik (Druskininkai), and to the regional committee in Suwalk in 1909. The Zionist Society of Naishtot was one of the five Societies of the Suwalk Gubernia with its own delegate, Yitskhak Nisnboim, at the Fifth Zionist congress. In the years 1898,1899 and 1903 the Hebrew newspaper, published in St. Petersburg, “HaMeilitz” printed lists of contributors from Naishtot for the Settlement of Eretz–Yisrael. The fundraisers were Zalman Zubishsky, Eta Rozenberg, Hanah Vistanetsky and Shelomoh Landau.

 

lit4_122.jpg
The Great Synagogue built in 1880

 

For the Naishtot correspondents who wrote in “HaMeilitz” see Appendix 4.

At the old Jewish cemetery in Jerusalem there is a tombstone of a Naishtot man, Rabbi Yosef–Tsevi son of Mosheh HaCohen, who died 1879.

The local “Bund” branch (Anti–Zionist workers organization) struggled for improved working conditions for Jewish workers and also dealt with smuggling revolutionary literature from Germany to Russia. Together with “Poalei–Zion” they organized strikes of the local brush manufacturing workers at the beginning of the twentieth century. One of the first revolutionary organizers in town was the local Yankel–Aba (Apolon) Finkelshtein.

In 1905 the police found a few pistol guns in the “kloiz” and imposed a penalty of 3,000 Ruble on the community.

[Page 123]

At the beginning of the 1880s there were many plots organized against Jews, causing migration of Naishtot Jews to America and South–Africa. The Jewish population in town decreased from 2,305 in1908 to 1,600 in1914.

For the Vital Records for Wladislawow of the 19th century see Appendix 1.

At the beginning of World War I Naishtot passed from one government to another several times. As a result more than a quarter of the houses in town were destroyed and for several years the town was left deserted in ruins .

During German occupation (1915–1918) about 70% of the Jews returned to town. Living in great poverty, they needed the help of the “The Jewish Aid Committee” in Koenigsberg headed by Dr. Nathan and Dr. Bernard Cohen.

 

During Independent Lithuania (1918–1940)

(All photos supplied by Braine Rozenblum–Zinger)

On February 16th, 1918, the establishment of the Lithuanian State was proclaimed. Consequently the German army withdrew from the area, and life in Naishtot gradually returned to normal.

Following the law of autonomy for minorities, issued by the new Lithuanian government, the minister for Jewish affairs Dr. Menakhem (Max) Soloveitshik ordered elections to community committees (Va'ad Kehilah) to be held in the summer of 1919. In Naishtot, the elections took place in 1919 and a committee of 11 members was elected: 5 were elected from “Poalei–Zion”, 2 from General Zionists and 4 from “Agudath Yisrael”. This Naishtot committee was one of the first elected in Lithuania.

The committee, active till the end of 1925 when the autonomy was annulled, collected taxes as required by law and was in charge of all aspects of community life.

According to the first census performed by the government in 1923, there were in Naishtot 3,067 people and of them 981 Jews (32 %).

At the elections for the municipality council in 1931, four Jewish members were elected: Shimon Fink, Berl Mitkovsky, Avraham Epshtein and Hirsh Osherovitz. At the elections of 1934, only three Jews were elected.

The Jewish “Folksbank” of Naishtot with 60 members was established in 1920. Its role in the restoration of the post–war Jewish businesses was important, as were loans from the “Joint” organization. In 1927, membership increased to a record 216, but during the 1930s there were only 150 members accounting to 75% of all Jewish families in town. For many years, Z.Tompovsky was the director. One of the more active agencies in town was the branch of “The United Jewish Agrarian Credit Society “.

[Page 124]

According to the data provided by the 1931 government survey of business stores in the state, Naishtot had 64 stores, 55 of them owned by Jews (86%). Division of the stores by type of business is given in the table below:

 

Type of the Business Total Owned by Jews
Groceries 6 6
Grains and Flax 6 6
Butchers and Cattle Trade 12 8
Restaurants and Taverns 5 3
Food Products 12 12
Beverages 2 2
Textile Products and Furs 4 4
Leather and Shoes 1 1
Haberdashery and Home Utensils 1 1
Medicine and Cosmetics 2 1
Watches, Jewels and Optics 2 2
Bicycles and Sewing Machines 1 1
Tools and Steel Products 4 4
Heating Materials 4 4
Overland Transportation 1 0
Stationery and Books 1 0

 

According to the same survey Naishtot had 14 light industry factories, all owned by Jews, as can be seen in the following table:

 

Type of the Factory Total Jewish Owned
Metal Workshops, Power Plants 1 1
Chemical Industry: Spirits, Soaps 3 3
Textile: Wool, Flax, Knitting 2 2
Food 1 1
Barber shops, bristle processing, photo shops 7 7

 

Transfer of regional offices from Naishtot to Shaki caused a deterioration in the economic situation causing many Jews to emigrate abroad.

The big flax processing plant established by the Lithuanian cooperative center– “Lietukis” employed no Jewish workers, except for 3–4 clerks. The bristle industry employed only 10–12 workers. Jewish people working in various trades were represented by 8 bakers, 7 butchers, 4 watchmakers, 3 barbers, 3 hat makers, 2 cobblers and 1 tailor. Several families made their living in the transport business until this type of activity was taken away from Jews in 1936.

One of the Jewish businesses untouched by reforms since before the war was agriculture. 25 families owned an area of 320 hectares and continued to cultivate the land. However, only half of the families were able to make a living in agriculture, while the other half had to seek additional work to supplement their income. There were other Jews who rented land for cultivation.

[Page 125]

lit4_125.jpg
The concrete bridge on the Shirvinta River (?)

 

The Nazis took over the rule in Germany in 1933 and in subsequent years, they imposed economic pressure on Lithuania negatively affecting a great number of Naishtot Jews. The border passing with Germany was closed, ultimately resulting in the closure of 24 shops and 2 custom clerk offices. Businesses such as stores, bakeries, and butcher shops, photographer shops and others saw a significant decrease in income attributed largely to the fact that Germans from the other side of the border stopped coming.

In 1935, Naishtot had 193 Jewish families with a total number of population numbering about 750 people.

Their occupations are detailed in the table below:

 

Occupation or Business Number of Families %
Commerce 87 45
Craft 30 15.5
Agriculture 20 10.5
Different professions and Clerks 15 8
Non professional trades 5 2.5
Religious Ministers 5 2.5
Industry 3 1.5
Free professions 3 1.5
Without defined occupation 25 13
Total 193 100

 

According to telephone book of 1939 there were 60 subscribers to telephone service, 16 of them were Jews.

[Page 126]

lit4_126a.jpg
The market square and the monument of V. Kudirka

 

Education and Culture

In the 1920s the “Va'ad HaKehila” established and maintained a Kindergarten and an elementary school in which the language of instruction was Yiddish. Later a Hebrew school of the “Tarbuth” branch was established in Naishtot. This school was located in one building together with the Lithuanian school. It was a two–storey building with water supply, sewage and central heating. It was the only building in town boasting such conveniences.

 

lit4_126b.jpg
The fifth grade of the Hebrew progymnasium 1925
In the middle the Hebrew teacher Efraim Grinberg

[Page 127]

For nine years the Hebrew progymnasium of Naishtot existed. It was established by a former Naishtot Jew named Fain. One of the directors of the school was Dr.Shelomoh Kodesh (he died in 2000 in Israel). After the closure of the gymnasium only a few of Naishtot children studied in Hebrew high schools of the adjacent towns. Several families sent their children to the local “Kheder”. Shortly before the Holocaust the local Rabbi opened a “Yeshivah Ketanah”, a small yeshiva school for boys.

 

lit4_127.jpg
Pupils of the Hebrew school with teacher Shimberg

First line above from right: Zlata Manheim, Hirsh Rozenblum, Sonia Tsirkman, (seventh) Mosheh Garbarsky
Second line from right: (first) David Rotbart, (third) Miriam Zanditn, (fourth) Berl Polivansky
Third line: Hanah Levinson, teacher Shimberg, Golda Levinson

 

After World War I, local Jewish youth established a Yiddish library. In 1925 this library was transferred to “Libhober fun Wissen” (Fans of Knowledge) society ultimately accumulating a collection of about 1,100 books. In addition to the library the town boasted an evening school, and was known to organize literature and drama evenings, lectures and a drama group performing plays in Yiddish. The Jewish theaters of Kovno seldom visited Naishtot. Not only was there a Yiddish library but there was also a Hebrew Library, founded by the “Eretz Yisrael HaOvedeth” (Labor party) league. In the middle of the 1930s the “Hekhalutz” and “Sirkin Society” drama group was formed, which on occasion performed a light repertoire of Yiddish plays.

Through the years the majority of Naishtot young people left town settling all over the world bringing the town's cultural activities to a gradual decline. Among the Jewish population, there were only 40 subscribers to the 4 Yiddish daily newspapers published in Kovno.

[Page 128]

lit4_128.jpg
A group of Naishtot youth

From right: Yosef Ziman, Hirsh Rozenblum, Kalman Landau, ––––, ––––

 

Zionist and other activities

The general political leanings among the Jewish population of Naishtot are reflected in the October 1922 elections to the first Lithuanian Seimas (Parliament). The Zionist list got 358 votes, “Akhduth” (Agudath Yisrael)–47 votes and the Democrats–2.

Almost all Zionist parties and youth organizations were represented by town branch organizations. The “HaShomer–HaTsair” branch was established in 1923 and was in operation until 1940 when it was closed by the Soviets. In 1936, this branch had about 50 members. Naishtot also had branches of “Betar”, “HeKhalutz” and “Maccabi” with 124 members by the end of the 20–ties.

The results of the elections to 5 Zionist congresses (1927–1935) are presented in the table below:

 

Congress
No.
Year Total
Shekalim
Total Voters Labor Party
Z”S Z”Z
Revisionists General Zionists
A B
Grosmanists Mizrahi
15 1927 34 23 11 1 9 2
16 1929 51 52 29 2 16 4
17 1931 66 54 17 8 22 7
18 1933 245 146 49 22 4 24
19 1935 335 198 4 58 22 53

[Page 129]

lit4_129.jpg
The soccer team

Standing from right: (second) Shulman, (third) Yosef Ziman, –––––, Yisrael Ziman (?), Yitskhak Zanditn
Second line sitting: ––––, ––––, Hirsh Rozenblum
Third line: David Rotblat, Khayim Vilonsky, –––––

 

In 1934, a committee was organized with a mandate to establish a “WIZO” branch in town. A committee of 7 members and one representative of every youth organization organized fundraising for KK”L (Keren Kayemeth LeYisrael – The Jewish National Fund).

Many Jews of Naishtot were members of the “Volunteer Fire Brigade”. The administrator of the Brigade was H. Rosenfeld.

 

Religion and Welfare

The public institutions of the Jewish Community included a magnificent Synagogue, the Beth–Midrash, the “Kloiz”, the Bath House and the Mikveh. The community employed a Rabbi, two “Shokhtim” (ritual slaughterers) one of which was also the “Khazan” (Cantor). The list of Rabbis who served in Naishtot is presented in Appendix 2.

At the Beth Midrash and the “Kloiz”, daily lessons in Talmud were offered by the “Shas” society and in Mishnah by the “Mishnayoth Society”. The community also had a “Tehilim” society, “Ein Ya'akov” society, “Menorath HaMaor” society and a “Khevrah Kadisha”.

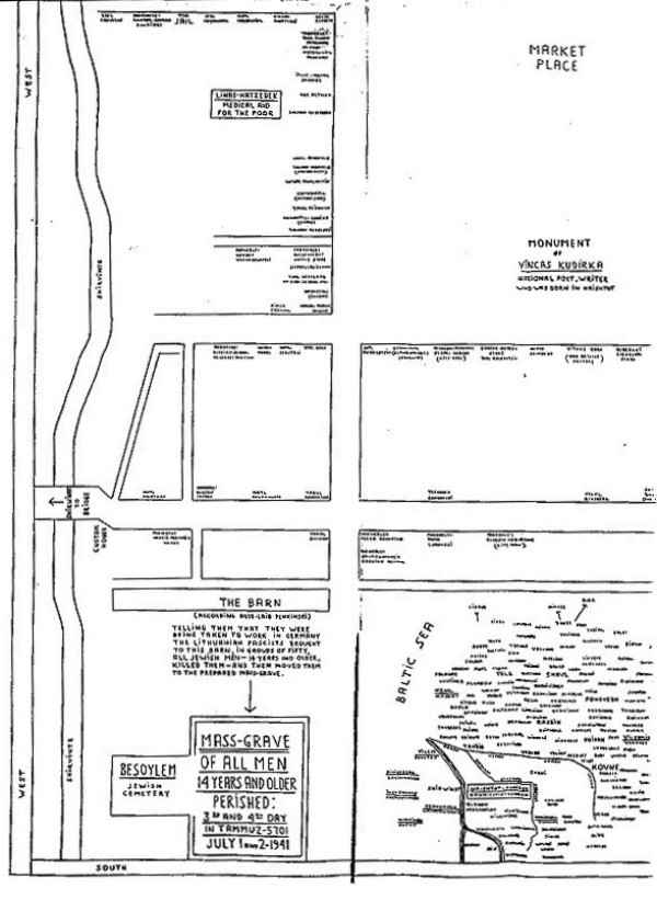
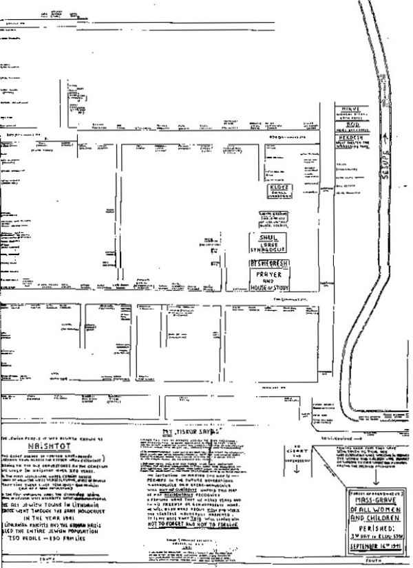
For the lay out of the Jewish institutions in town see map below.

Welfare distribution was organized by “Ezrah” (Help) society, which took over most of the functions of the previous “Va'ad HaKehilah”. “Ezrah” owned the

[Page 130]

building of the “Talmud–Torah”, the “Hakhnasath–Orkhim” and the Bath House. Its budget came mainly from donations and from the “Aliyoth LaTorah” contributions. “Linath HaTsedek” and two “Gemiluth Khesed” societies of Naishtot were formed with the help of former Naishtot Jews of South Africa and America. These societies provided financial help to needy families. The “Bikur Kholim” society cared for the sick people. But the decrease of the Jewish population and the worsening of the economic situation halted the activities of the community organizations of Naishtot.

For a partial list of prominent personalities who were born in Naishtot, see Appendix 3.

 

During World War II and Afterwards

World War II started with the German invasion of Poland on September 1st, 1939 and its fatal consequences for Lithuanian Jews in general and Naishtot's Jews in particular were to be felt several months later.

In agreement with the Ribbentrop–Molotov treaty on the division of occupied Poland, the Russians occupied the Suwalk region, but after delineation of exact borders between Russia and Germany the Suwalk region fell into German hands. The retreating Russians allowed anyone who wanted to join them to move into their occupied territory, and indeed many young people left the area together with the Russians. The Germans drove the remaining Jews out of their homes in Suwalk and its vicinity, robbed them of their possessions, then directed them to the Lithuanian border, where they were left in dire poverty. The Lithuanians did not allow them to enter Lithuania and the Germans did not allow them to return. Thus, they stayed in this swampy area in cold and rain for several weeks, until Jewish youths from the border villages smuggled them into Lithuania by various routes, with much risk to themselves. Altogether about 2,400 refugees passed through the border or infiltrated on their own, and were then dispersed in the “Suvalkiya” region. Naishtot community was obliged to accommodate and care temporarily for 100 refugees.

In June 1940 Lithuania was annexed to the Soviet Union and became a Soviet Republic. Following new rules, the 3 flour mills and the power station owned by Jews were nationalized. A number of Naishtot Jewish shops were nationalized and commissars were appointed to manage them. Supply of goods decreased and, as a result, prices soared. The middle class, mostly Jewish, bore most of the brunt, and the standard of living dropped gradually.

All the Zionist parties and youth organizations were disbanded and some of the members joined the Comsomol – the Communist Youth Organization. The Hebrew school was closed and in its place a Yiddish school opened.

In the middle of June 1941 several Jewish families were exiled into Russia as “Unreliable Elements”, following the nationalization of Jewish businesses, according to rules.

[Page 131]

In 1941 before the war there were about 3,300 people in Naishtot, 750 Jews among them.

At dawn on June 22nd, 1941 the German army entered Naishtot encountering no resistance. The first Jewish victims fell that same day. German soldiers shot David Glodnikov, Mordehai Levinshtein and Iser Grosman. At noon, at the municipality square, in full view of a large public, two Jewish barbers M.Lubovsky and Y.Katz were executed by shooting, after a dead German soldier was found next to their shop.

Naishtot was located on a strip of 25 km near the border with Germany subject to the order of the S.S. Einsatzgruppe Commander F. Stahlecker (he was hanged after the war by the Soviets). According to his order this strip of land had to be handed over to the S.D. from Tilzit with a special assignment to cleanse it from Jews and Communists. The commander of Tilzit S.D. handed over the assignment to the S.D. of Schirwindt who fixed the date for the annihilation of Naishtot Jews.

On June 25th all Jews were ordered to the market square. The Lithuanian mayor informed them that from that day on the Jews would work on different tasks in town: they would dig pits, clean and sweep the streets, repair roads etc. The Jews were immediately engaged to work under the supervision of Lithuanian guards who badly mistreated and humiliated them.

At the beginning of July, after the Jews returned from work, a group of armed Lithuanians led by Germans from Shirwindt, swamped the town and ordered all Jewish men, ages 14 and over to come out to the streets. From there, they were led to the municipality building. Municipality clerks stripped them of their documents, money and other valuables. Then, in groups of 50 they were led to the Jewish cemetery where fresh pits were already dug out by Soviet war prisoners. There, they were shot by both Germans and Lithuanians. Victims were forced to stand on the edge of the pit where they were shot, targeted to fall directly into the pit. The next group of victims before being shot themselves would be forced to drag and push bodies into the pit if a victim failed to fall directly into the pit. A total of 192 men, among them several Lithuanian Communists, were murdered on that fatal day.

The district governor and the mayor were both present at the murder scene. Immediately after the murders these two invited all the participants in the murders to a big party where they thanked the Germans and the Lithuanians for the action. In the days that followed Lithuanian collaborators were still looking for escapees. They caught nine men and murdered them too.

Families of the victims were told that the men were sent to Germany to work . Jewish women had to take over, and were then employed to do the same work as the men before their murder. Specific hours were fixed to buy food and to pump water from the public well.

On August 23rd 1941 women and children were whisked to a makeshift Ghetto in two shabby alleys – the synagogue alley and the bathhouse alley.

[Page 132]

On September 16th 1941 (24th of Elul 5701) armed Lithuanians showed up in town forcing all women and children from their homes. All were ordered on to carts and transported the Parazniai forest, about 4 km away from Naishtot. Fresh pits were already dug out. Forcing victims to undress before they were shot, the Lithuanians murdered 650 Jewish women and children. One young woman refused to undress, and a killer cut her dress and stomach open.

Following the annihilation of the Jewish population , the municipality took over Jewish properties and started its allocation. Nasty squabbles began among the Lithuanians during the division process.

One family, Malkah Glik with her 4 children, managed to hide at the farm of Lithuanian peasants and survived.

Bibliography:

Yad–Vashem Archives: Koniukhovsky collection 0–71, Files 149
YIVO NY, Lithuanian Communities Collection, Files1391, 1392
Goldshtein–Golden L. Fun Kovner Ghetto biz Dachau (Form the Kovno Ghetto till Dachau) (Yiddish), New York 1985
Gotlib, Ohalei Shem, page 126
Kodesh Shelomoh, Stories from home (Hebrew), Ashdod 1994
Dos Vort (Yiddish Daily)– Kovno, 11.11.1934, 23.12.1934.
Di Yiddishe Shtime (Daily)– Kovno,17.8.1919, 26.12.1931
HaMeilitz (Hebrew)–St. Petersburg, 23.8.1880, 30.11.1880, 15.3.1881, 21.6.1881, 16.8.1881, 2.8.1881, 6.9.1881, 8.11.1881, 7.3.1882, 14.3.1882, 11.7.1882, 8.8.1882, 24.10.1882, 23.2.1883, 7.5.1883, 17.12.1883, 8.1.1884, 29.5.1884, 4.9.1885, 10.1.1887, 21.2.1887, 31.5.1888, 6.6.1889.
Folksblat (daily) (Yiddish)–Kovno, 13.4.1933, 25.5.1933, 11.8.1935. 19.8.1935, 9.9.1935, 17.9.1935, 19.9.1935, 7.6.1936.

[Page 133]

lit4_133.jpg
The monument on the mass graves
with the inscription in Yiddish and Lithuanian:
Here in this the Hitler murderers with their local helpers
murdered in June 1941, 1000 Jews, men, women, children.

[Page 134]

lit4_134.jpg
Left half of Naishtot map prepared by Ralph (Yerakhmiel) Goldberg in 1971, Chicago, Illinois, USA.

[Page 135]

lit4_135.jpg
Right half of Naishtot map prepared by Ralph (Yerakhmiel) Goldberg in 1971, Chicago, Illinois, USA.

[Page 136]

Appendix 1

Partial Vital Records For Vladislavov
(supplied by Hildy Sanders)

–The death record of Rakhama Meyshtovski, 35 years old, daughter of Hilel Bromberg and Khaia;
–The birth records of Tamara, Shmul, Beila and the death record of Tamara, children of Mikhel : Meyshtovski and Sora –4 records for 1856– 1865;
–The birth record of Sofa, daughter of Mikhel ben Itsek Meyshtovski and Ester, maiden name Leiman; –The death record of Jankel–Josel, 75 years old, son of Mikhel and Sora; – The birth record of Meier, son of Berel Meyshtovski and Khana;
–The birth records of Khaim, Shloma, Sheina and the death record of Etka, children of Eliash Meyshtovski and Pesha –4 records for 1844 –1864;
–The death record of Eliash ben Eliash Meyshtovski, 59 years old, he left wife Pesha, maiden name Iundelski;
–The marriage record of Khaim Meyshtovski, son of Eliash and Pesh~ and Khana Bartelshtein, daughter of Gersh and Tsypa;
–The birth record of Sheina, daughter of Eliash Meyshtovski and Khana; –The birth record of Feiga, daughter of Eliash Meyshtovski and Tsypa;
–The birth records of Sora and Khaia and the death record of Sofa, daughters of Eliash Meyshtovski and Etka –3 records for 1844 –1846;
–The death record of Estera Meyshtovski, 19 years old, daughter of Nokhim and Leia; –The birth record of Zundel, son of Haushel Meishtovski and Rokha;
–The marriage record of Zundel Meyshtovski (son of Haushel and Rokha) and Sora–Ienta Oppengeim (daughter of Gershon and Tsirlia) and the birth records of their children –Tsypa (birth and death records), Khava–Etel and Tsirlia –5 records for 1861– 1882; Note: in one record surname is Mistovski;
–The birth records of Dvera, Sofa, David and the death records of David and Leizer, children of Ovsei or Govsei Meyshtovski and Khaia –5 records for 1844 –1852;
–The death record of Ovsei Meyshtovski, 50 years old, he left wife Khaia–Rokha and 4 children; –The birth record of Leia, daughter of Hovsei? Meyshtovski and Basha;
–The death record of Estera, 3 years old, daughter of Gersh Meyshtovski and Ienta;
–The death record of Estera, 3 years old, daughter of Iankel Meyshtovski and Rokha; –The birth record of Shmuel, son of Meier–Movsha Meyshtovski and Pesa;

[Page 137]

–The death record of Mina–Leia, 6 years old, daughter of Shloma Meyshtovski and Zlata; –The birth and death records of Josel, son of Khaim Meyshtovski and Cherna –2 records;
–The death record of Cherna Meyshtovski, 26 years old, daughter of Leiba Meierovich and Khaia; –The marriage record of Khayin Meyshtovski, son of David and Sora and Estera Mikhalovich, daughter of Gersh and Leia;
–The marriage record of Tankhel Meyshtovski, son of Abel and Sora, and Basha Grossman, daughter of Kushel and Khena;
–The birth record of Khaia–Mariasha and the death record of Shmul, children of Abel Ben Berel Meyshtovski and Sora –2 records;
–The death record of Nokhim Blokh, 3 years old, son of Abram and Leba;
–The death record of Volf Blokh 42 years old, son of Shimel and Leia;
–The marriage record of Meier Sapiro (son of Khatskel ben Meier and Ienta) and Cherna–Riva Blokh (daughter of Gersh and Sora);
–The birth records of Mirka, Zalman, VoIr, Leia, Temka, Nakhrnan and the death records of Zalman, Volf and Leia, children of Shmuel Blokh and Rokha –9 records for 1846 –1861;
–The marriage record of Gershel? Lurie (son of Meier and Sincea?) and Rokha Blokh daughter– of Shmuel and Ienta;
–The marriage record of Volf Grossman (son of Kushel and Khena) and Hinda Meyshtovski (daughter of Abel and Sora);
–The birth records of Shmuila Josel, Khatskel Ovsei and the death records of Shmuila and Orka, sons of Itsek Meyshtovski and Feiga, maiden name Belmon –6 records for 1844 –1869;
–The birth records of Yankel and Khaim and the death record of Iankel, sons of Josel Meyshtovski and Rokha or Rokhama –3 records for 1845– 1848~;
–The death record of Berel Meyshtovski, 75 years old, son of Abram and Mariasha;
–The birth record of Khaika–Dobra, daughter of Berel–Abram Meyshtovski;
–The death record of Josel–Mordukh ben Borukh, 80 years old;
–The birth record of Leiba, son of Khaim–Gersh Meyshtovski and Feiga;
–The death record of Iokhevet, daughter of Khaim Meyshtovski and Feiga, maiden name Rotshtein;
–The birth record of Mina, daughter of Kusel–Motel Meyshtovski and Sora–Ienta;

[Page 138]

–The birth records of Iankel Mina–Leia, Abram–Berka and Tsirlia, children of Shloma–Leizer, Meyshtovski and Zlata, maiden name Vidgerski –4 records for 1864 –1882;
–The birth record of Eliash, son of Itsek Meyshtovski and Perla;
–The death record of Leiba Meyshtovski, 30 years old, son of Mikhel? And Mina;
–The birth records of Matla, Shmuila, Rokha and the death records of Josel and Shmuila, children of Leiba Meyshtovski and Tamara– 5 records for 1837– 1852;
–The marriage record of Israel Meyshtovski (son of Volf and Pesha ) and Rokhama Bromberg ( daughter of Hilel and Hinda);
–The death record of Movsha, son of Leiba Meyshtovski and Khaia, 11 years old;
–The birth record of Mina–Ienta and the death record of Riva, daughters of Berko or Berel Meyshtovski and Khava, maiden name Kleperman –2 records;
–The marriage record of Mortkhel–Leiba Roginski (son of Nokhman and Leba) and Khana Meystovski (daughter of Berko and Khava–Ester, maiden name Klein);
–The birth record of Sh1ioma son of Bentsion Meyshtovski and Khana, maiden name Bartomshtein;
–The death record of Sora Meyshtovski, 45 years old (daughter of Leiser and Feiga Zilberrnan);
–The death record of Khaia Meyshtovski, 57 years old (daughter of Leiba and Freida Abramovich);
–The death record of Eliash–Leiba Meyshtovski, 40 years old, widower;
–The death record of Feiga Meyshtovski, 72 years old, widow;
–The death record of Tsyria Meyshtovski, 80 years old;
–The death record of Gitla Meyshtovski, 70 years old;
–The marriage record of Leiba ben Berel Blekh since Sudargas (son of Berel and Mera, maiden name Bliokh) and Estera bat Leiba Liutinski (daughter of Leiba and Khana, maiden name Liutinski);
–The birth records of Meier, Shimel and Berel, sons of Khonel Blokh and Ester– 3 records for 1845 – 1851;
–The death record of Khonel Blokh, 47 years old;
–The birth records of Khiena, Sora–Leia, Khana, Khonel, Khiena and the death records of Sora and Khan, children of Iankel–Movsha ben Khonel Blokh and Itta, maiden name Sredvigovski or Shedvigovski –7 records for 1857– 1874;

[Page 139]

–The birth records of Shmul, Gersh and Iankel, sons of Volf–Shimel Blokh and Gitla bat Vulf –3 records for 1825– 1833;
–The death record of lz1a Blokh, 58 years old, daughter of Leiba and Pesha;
–The birth records of Khana, Leia, Khiena, Estera–Riva, Nekhama and the death records of Khana and Leia, children of Gersh Blokh and Khaia–Reiza –7 records for 1848– 1864;
–The birth records of Khana–Tsipa, Shimel, Iankel and Leiba, sons of Iankel Blokh and Mera–Golda, maiden name Trepuk –4 records for 1854 –1870;
–The marriage record of Iankel Blokh (son of Volf and Gitla) and Reina Okhron (daughter of Volf and Khaia);
–The death record of Raina Blokh, 26 years old, wife of Iankel;
–The marriage record of Efroim Gelberg (son of Leizer and Dveira) and Etla Blokh, widow (daughter of Movsha and Khana);
–The death record of Riva Blokh, 8 years old, daughter of Girsh and Dvora;

Appendix 2

Partial list of Rabbis who served in Naishtot

Aba Dayan in Naishtot 1740–1752
Menakhem–Nakhum Kharif died 1820
Aba Abelson at the beginning of the 19th century
Nathan Shtern died 1844
Aryeh–Leib Broido
Eliyahu–Yehudah Daikhes (1816–1856 in Jerusalem)
Betsalel Hacohen in Naishtot 1860–1868, the year of his death
Yisrael–Khayim Daikhes (1851–1937 in Leeds, UK)
Yekhezkel Volpert served in Naishtot for several years after 1901
Shemuel Gokhberg (1877–?)
Sender Vilensky
Nekhemyah Fortman born in Naishtot in 1883, murdered together with the community in 1941

Appendix 3

Partial list of Rabbis who served in Naishtot

Yosef Zekharyah Shtern (1831–1904) for 43 years Rabbi in Shavl
Shelomo Pukher (1833–1899) since 1859 state appointed Rabbi in Mitava (Latvia) and since 1893– in Riga. Established a “Talmud–Torah” and a school for girls in Mitava. Teacher of religion for Jewish students in the local high school. Struggled against the Christian “Mission”.

[Page 140]

Mosheh–Yehoshua Rabinovitz, one of the leading personalities of the Vilna Jewish community at the first half of the 1th century.
Harry Lois Rozental, born in Naishtot in 1860, educated in Manchester, returned to Naishtot and became a merchant, studied Hebrew and wrote a book “Sod Kedoshim” (Manchester, 1895), explanation about the prophecies of Daniel.
Yeshayahu Volgemut died in1898, for 44 years Rabbi in Memel.
Eliyahu Te'omim Rabbi in Manchester
Aryeh–Leib Blumental Talmudist and mathematician
Gordon Dr. (1874–1943) since1892 in America, exerted significant influence on the Jewish education in USA, died in Minneapolis.
Avraham Hershman (1880–1959) Rabbi in Detroit
Mordehai Bobtelsky (1889–1965) since 1925 Professor of chemistry at the Hebrew University in Jerusalem, one of the first researchers of the Dead Sea, published many research works in English and French scientific publications, died in Jerusalem
Aba–Hilel Silver (1893–1964) reformed Rabbi, one of the leaders of American Jewry
Max Band (1900–1974) known painter, Band studied at the Berlin Academy. He authored “History of Contemporary Art” in 1935. In 1940 he settled in Hollywood and lived there until his death in November 1974. His paintings are exhibited in many museums in USA and Israel.
Tsevi–Hirsh Bernshtein (1846–1907) since 1870 in NY, one of the pioneers of the Yiddish and Hebrew press in America.
Adolf–Mosheh Radin (1848–1909), Rabiner in Kinfin (Prussia), since 1884 in America, very active in helping Jewish immigrants from Russia.
Ya'akov Ter (1861–1935) since 1891 in America, published many plays and historical operettas in Yiddish performed at the Jewish theaters, wrote stories, dramas and anecdotes in the Jewish press in NY.
Yisrael–Iser Goldblum (1863–1925) lived in Paris since 1886, researcher of old Hebrew manuscripts at the great libraries of Europe, published scientific articles on this topics in the Hebrew press, published 2 books, signed his articles with pseudonym YIP”Z.
Herman Bernshtein (1876–1935) since 1893 in America, was for a short time the American ambassador in Albania, establisher and first redactor of the Yiddish daily newspaper “Der Tog”, though he himself didn't write in Yiddish, he translated into English many books of Tolstoy, Chekhov, Gorki and others, published a book “The Truth about the Protocols of Zion” proving the lies about the Jewish people.

[Page 141]

Shemuel Talpiyoth (1877–1951) since 1894 in Montreal (Canada), one of the founders of Zionist Organization in Canada, published many articles about Judaism, Jewish history etc. in the Yiddish, Hebrew and Jewish–English newspapers.
Shelomo–Yosef Herberg (1884–––––) since 1920 in Eretz–Yisrael, published stories and poems in the Hebrew periodicals, translated 40 books since German, Russian and Yiddish into Hebrew, among them books of Gorki, Dostoyevsky and others.
Efrayim Grinberg (1895–1942) teacher and journalist, one of the leaders of the Z”S party in Lithuania, redactor of the daily newspaper “Dos Vort”, arrested by the Soviets in 1940, escaped to Russia in 1941 and died there of hunger in 1942.
Kalman Landau (1912–––), Chem. Eng., since 1935 in Mexico, published articles about politics, literature and art in the Yiddish press, since 1947 redactor of the local newspaper “Dos Vort”.
Tsemakh Feldshtein Dr. (1885–1945) studied in Berlin and Bern History and Philosophy, director of the Hebrew high school in Vilkovishk and since 1922 till1940 director of the “Reali” Hebrew high school in Kovno. Active in the Hebrew and Zionist movement and in the Historic–Ethnographic Society of Lithuanian Jewry. A brilliant orator and journalist. During the Soviet rule (1940–1941) teacher of Russian at the Vilna high school. Active in the cultural life in the Vilna Ghetto. editor of the “Ghetto News”. Perished in Dautmergen camp in Germany.
Zalman Lubovsky–Libai Dr., writer and educator, director of the Hebrew high school in Mariampol (till 1935, prior to emigrating to Israel)
Yisrael Ziman, member of the Ruling Council of “HaShomer HaTsair” youth organization in Lithuania, member of Kibbutz “Ma'anith” in Israel, later Head of the department active in searching for missing relatives of the Jewish Agency in Jerusalem. (“HaMador lekhipus kerovim”)

Appendix 4

Naishtot correspondents who wrote in “HaMeilitz”

Hayim–Ze'ev Sudavsky,
Alexander Fridman,
Aba Valershtein,
Yosef–Tsevi Valberg,
Shimon–Ze'ev Natelzon,
Yekhiel–Sheftl Rabinovitz

 

« Previous Page Table of Contents Next Page »


This material is made available by JewishGen, Inc. and the Yizkor Book Project for the purpose
of fulfilling our mission of disseminating information about the Holocaust and destroyed Jewish communities.
This material may not be copied, sold or bartered without permission of the copyright holders: Josef Rosin z”l and Joel Alpert.


JewishGen, Inc. makes no representations regarding the accuracy of the translation.The reader may wish to refer to the original material for verification.
JewishGen is not responsible for inaccuracies or omissions in the original work and cannot rewrite or edit the text to correct inaccuracies and/or omissions.
Our mission is to produce a translation of the original work and we cannot verify the accuracy of statements or alter facts cited.

  Preserving Our Litvak Heritage     Yizkor Book Project     JewishGen Home Page


Yizkor Book Director, Lance Ackerfeld
This web page created by Jason Hallgarten

Copyright © 1999-2026 by JewishGen, Inc.
Updated 06 Dec 2018 by JH